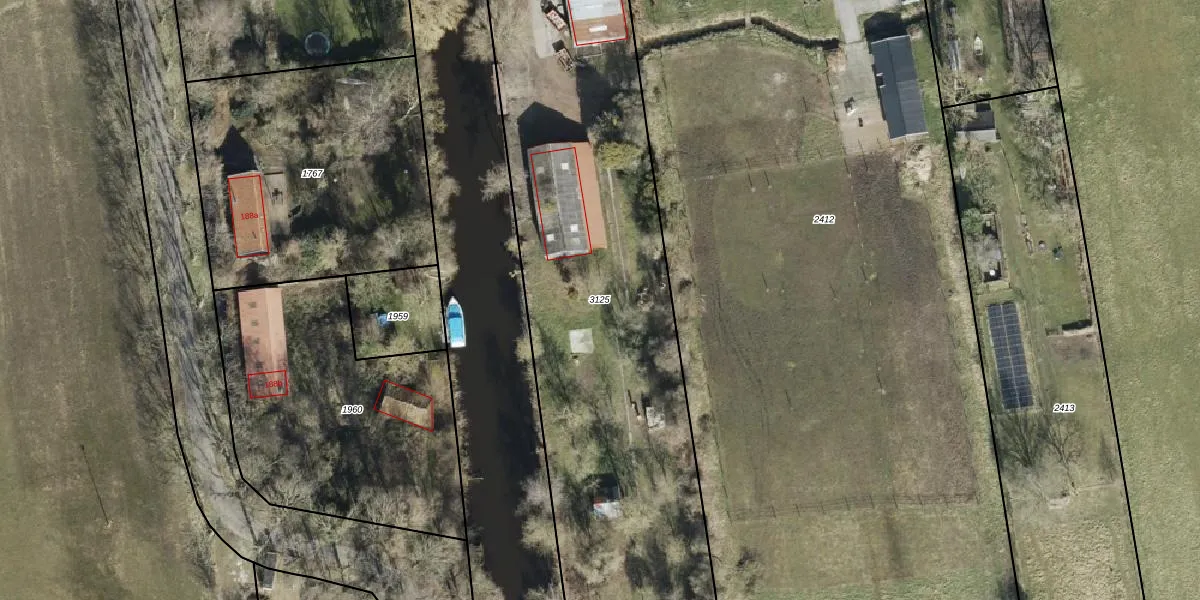
Perceel: LEE01-C-3125
KadastraleKaart.com kan meer dan je denktOntdek meer ›
Filter op bestemming 50+ datasets Eigendomsdata in één klik Percelen CRM
4.509 m2 - 422 m
Eigenaar opvragen
LEE01-C-3125 (Leek)
- 9827 PD
z5e T WnPc wn zq4CUpgrade naar KadastraleKaart Pro
Verkoopprijs opvragen
Bekijk op Street View
Download DWG/DXF/Excel
n03rhbw1JRiG9CUpgrade naar KadastraleKaart Pro
6UIDwQPp 9Ol57L0aO95eUpgrade naar KadastraleKaart Pro
OAblw86dj P9 hpUpgrade naar KadastraleKaart Pro
aOdEIVW8lD9k0qKf9ZU Q3Upgrade naar KadastraleKaart Pro
UvVi8o5iDQa Upgrade naar KadastraleKaart Pro
Bq3J4LaoOmClxEFe3c Gf2iUpgrade naar KadastraleKaart Pro
2l2F4htz2j2Upgrade naar KadastraleKaart Pro
l6c8H7zg wfg IanfROmUpgrade naar KadastraleKaart Pro
z6Pal7 j9ccoVJqVUpgrade naar KadastraleKaart Pro
fuweLmAwvpN7ObgSuUpgrade naar KadastraleKaart Pro
15/03/2024

Percelen
Gebruik de zoekbalk of klik op een perceel om informatie over het perceel te bekijken.