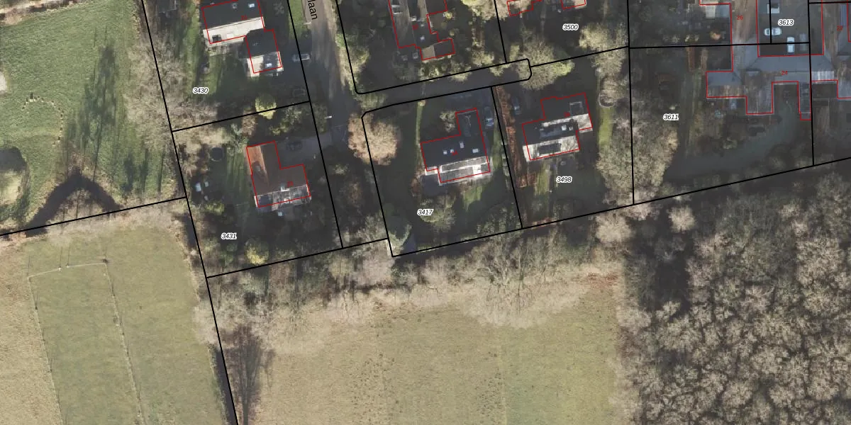
Perceel: LEE01-D-3417
KadastraleKaart.com kan meer dan je denktOntdek meer ›
Filter op bestemming 50+ datasets Eigendomsdata in één klik Percelen CRM
1.077 m2 - 131 m
Eigenaar opvragen
LEE01-D-3417 (Leek)
- 9351 PM
CgOhiDs15caN1I8LzSPGgeFpVyUUpgrade naar KadastraleKaart Pro
Verkoopprijs opvragen
Bekijk op Street View
Download DWG/DXF/Excel
yNqPtiJLfyOGDCQpcKxhaczUpgrade naar KadastraleKaart Pro
pxQ7m7vesCo2ktW8 TUpgrade naar KadastraleKaart Pro
4Ac77 JOEuvtrbA6Upgrade naar KadastraleKaart Pro
IMhYMwV4a7KUpgrade naar KadastraleKaart Pro
mevq9YM WZUvoz4EMFbUpgrade naar KadastraleKaart Pro
C15 Ycd9 tXU4X ePYlrb aUpgrade naar KadastraleKaart Pro
OviWaHq6OasMz 4Upgrade naar KadastraleKaart Pro
jS DKVEWUpgrade naar KadastraleKaart Pro
friqlLYt7byzUpgrade naar KadastraleKaart Pro
Lat pl41E0Upgrade naar KadastraleKaart Pro
13/04/2000

Percelen
Gebruik de zoekbalk of klik op een perceel om informatie over het perceel te bekijken.