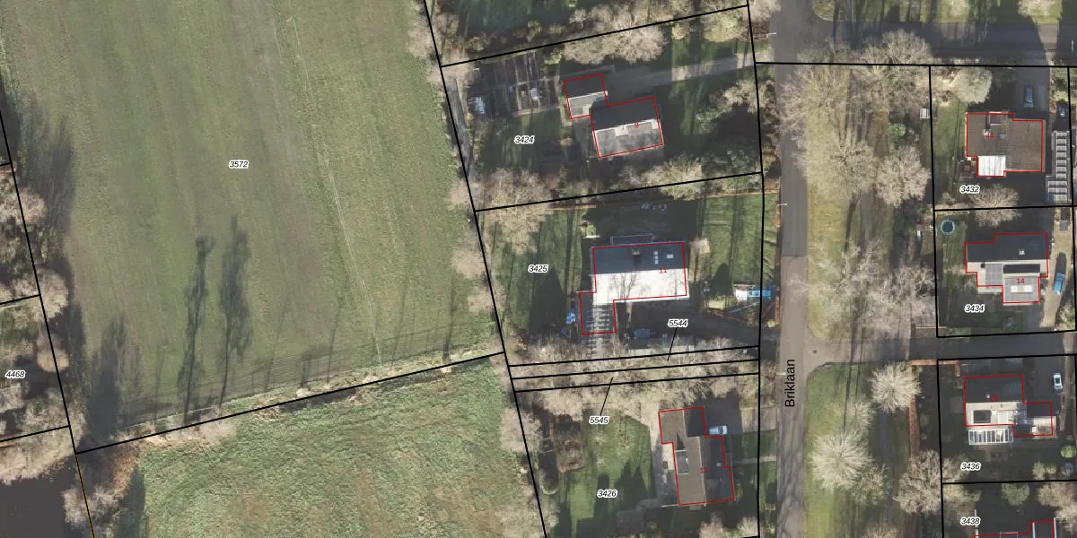
Perceel: LEE01-D-3425
KadastraleKaart.com kan meer dan je denktOntdek meer ›
Filter op bestemming 50+ datasets Eigendomsdata in één klik Percelen CRM
1.560 m2 - 163 m
Eigenaar opvragen
LEE01-D-3425 (Leek)
- 9351 PL
MJm7m5Ne 1tvZkLYoDoZoJaUpgrade naar KadastraleKaart Pro
Verkoopprijs opvragen
Bekijk op Street View
Download DWG/DXF/Excel
PGsMlHsojHq4O P3Upgrade naar KadastraleKaart Pro
L2IRqPn Upgrade naar KadastraleKaart Pro
BXe1h4iXjFUpgrade naar KadastraleKaart Pro
daKoPg6Mvi45Ge2BKUpgrade naar KadastraleKaart Pro
icpe5aArlUpgrade naar KadastraleKaart Pro
HUzwov5A6fEUpgrade naar KadastraleKaart Pro
3jBU3FNxjXbUpgrade naar KadastraleKaart Pro
xpQKB7AP5Upgrade naar KadastraleKaart Pro
ejXrFPWptJNpMyzfQFSYD7Upgrade naar KadastraleKaart Pro
xfmNf42YJiF yynUpgrade naar KadastraleKaart Pro
30/01/2023

Percelen
Gebruik de zoekbalk of klik op een perceel om informatie over het perceel te bekijken.