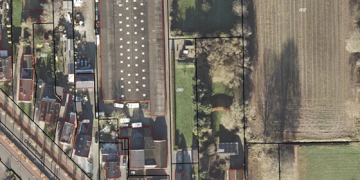
Perceel: LEE01-D-4276
Geen adressen bij dit perceel
1.040 m2 - 169 m
Eigenaar opvragen
LEE01-D-4276 (Leek)
- Geen postcode aanwezig
vd oACTAOpW L8V7p O6V2GKgVUpgrade naar KadastraleKaart Pro
Bekijk op Street View
Download DWG/DXF/Excel
b7cJ2kn4OXPU BLmUpgrade naar KadastraleKaart Pro
jEg0B02UjzNhgshNJ3K0cUpgrade naar KadastraleKaart Pro
xsKNoGZYXoVeFVpEnUU85Upgrade naar KadastraleKaart Pro
GDet B grSUpgrade naar KadastraleKaart Pro
D jpoo72Upgrade naar KadastraleKaart Pro
eiEnZ6pN3L thTlxsUpgrade naar KadastraleKaart Pro
j1Br25DZ0deUpgrade naar KadastraleKaart Pro
p nfCxLX8lC9Upgrade naar KadastraleKaart Pro
HAwTVjqFruUpgrade naar KadastraleKaart Pro
xCC0lEZfUpgrade naar KadastraleKaart Pro
17/04/2000

Percelen
Gebruik de zoekbalk of klik op een perceel om informatie over het perceel te bekijken.