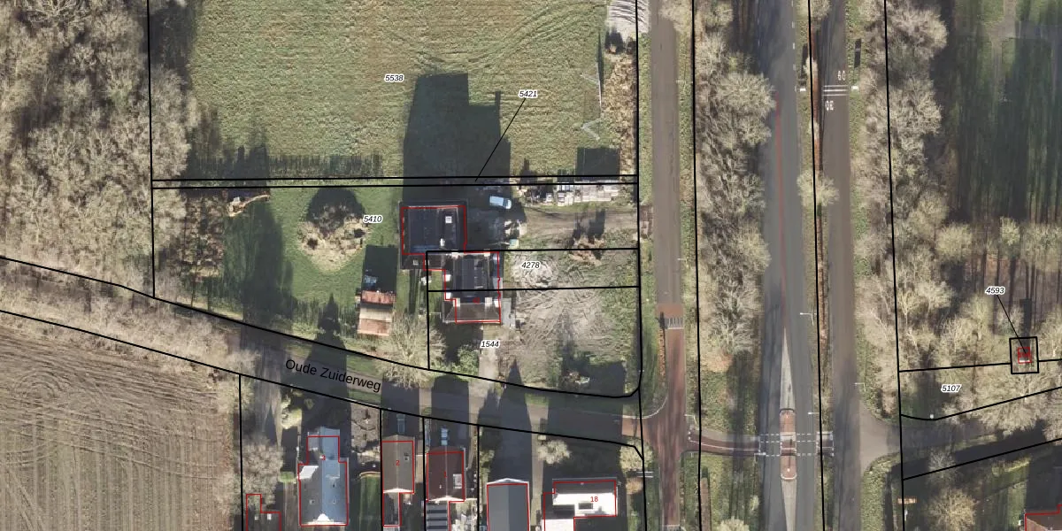
Perceel: LEE01-D-4278
KadastraleKaart.com kan meer dan je denktOntdek meer ›
Filter op bestemming 50+ datasets Eigendomsdata in één klik Percelen CRM
295 m2 - 94 m
Eigenaar opvragen
LEE01-D-4278 (Leek)
- 9351 PT
0kbEBtyQuRO7D SeRC3 gX8Upgrade naar KadastraleKaart Pro
Bekijk op Street View
Download DWG/DXF/Excel
4T XpP cyr1YxAAUpgrade naar KadastraleKaart Pro
93pWav9DKPENY8qUpgrade naar KadastraleKaart Pro
1tyx eO q9ejfiRKbi8Upgrade naar KadastraleKaart Pro
KHwipXlO8lCUpgrade naar KadastraleKaart Pro
RPvURhP8WUpgrade naar KadastraleKaart Pro
3JNGfBGDi4meZ8F tqUpgrade naar KadastraleKaart Pro
C1wez0P6wjsWTlu6Upgrade naar KadastraleKaart Pro
b112t8HTUpgrade naar KadastraleKaart Pro
jGOW YdCT JC6zA0 m 8cIVUpgrade naar KadastraleKaart Pro
PN39cKhUvLrCoQk8CC80 Upgrade naar KadastraleKaart Pro
28/01/2008

Percelen
Gebruik de zoekbalk of klik op een perceel om informatie over het perceel te bekijken.