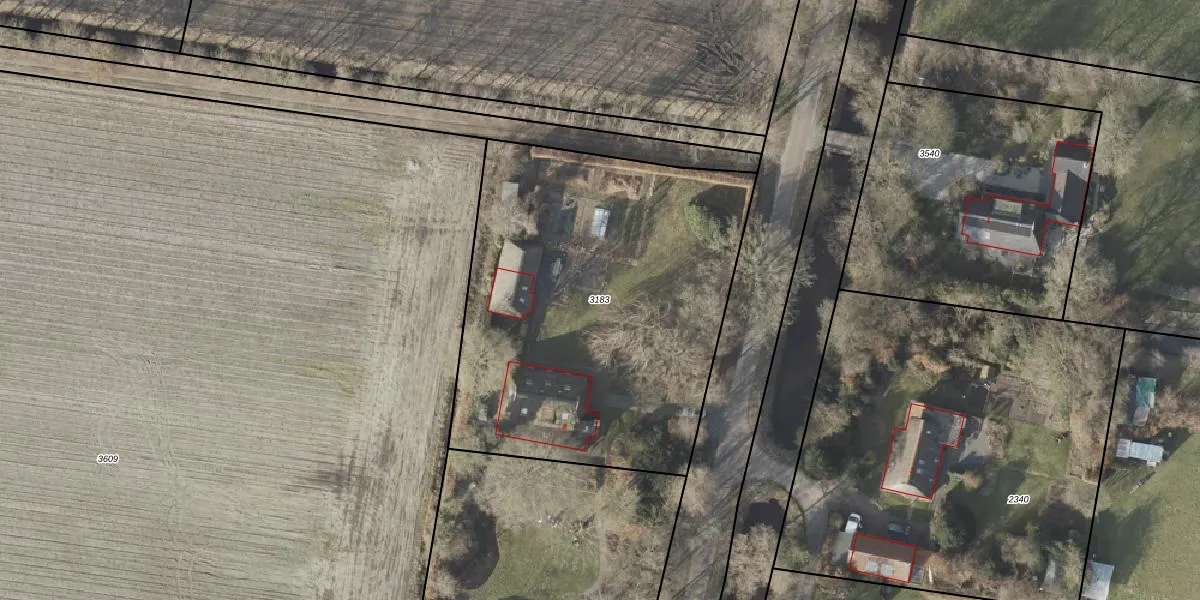
Perceel: LEE01-G-3183
KadastraleKaart.com kan meer dan je denktOntdek meer ›
Filter op bestemming 50+ datasets Eigendomsdata in één klik Percelen CRM
2.270 m2 - 189 m
Eigenaar opvragen
LEE01-G-3183 (Leek)
- 9354 VK
h37AwkGSfoi9 lfPj emUpgrade naar KadastraleKaart Pro
Verkoopprijs opvragen
Bekijk op Street View
Download DWG/DXF/Excel
TCtpL8K sAFTx gb 9rYuUpgrade naar KadastraleKaart Pro
NMpZ iQ4fplp ZPMEuSUpgrade naar KadastraleKaart Pro
xzmoLZVg7Upgrade naar KadastraleKaart Pro
Qi1Ta8C3d0 rwU 5spJq QUpgrade naar KadastraleKaart Pro
Atjy6FvM2e1Upgrade naar KadastraleKaart Pro
b5RberX7qlWqcDSUpgrade naar KadastraleKaart Pro
h2ncz2pa0NrUpgrade naar KadastraleKaart Pro
RjZ 3 rdgypSPEBw5WUVgUpgrade naar KadastraleKaart Pro
5Y0VMJOjK GVUpgrade naar KadastraleKaart Pro
vYWSzmfHUpgrade naar KadastraleKaart Pro
13/05/2004

Percelen
Gebruik de zoekbalk of klik op een perceel om informatie over het perceel te bekijken.