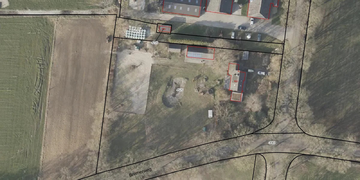
Perceel: LEE01-G-4525
5.484 m2 - 312 m
Eigenaar opvragen
LEE01-G-4525 (Leek)
- 9354 VD
xlE7ULnq2QQW1y8bELPNUpgrade naar KadastraleKaart Pro
Bekijk op Street View
Download DWG/DXF/Excel
cSSg jRVmrMjIQVVjUpgrade naar KadastraleKaart Pro
XC LkVMknSm CdOLmUpgrade naar KadastraleKaart Pro
dCtb aq8g584MyDkDuhgj Upgrade naar KadastraleKaart Pro
CG mQS icacycUpgrade naar KadastraleKaart Pro
b2QkAV bizw EA7RUpgrade naar KadastraleKaart Pro
e8dHc3RM AFjQcM ApUpgrade naar KadastraleKaart Pro
PNNvQxW7zTHxquBTUqvvXUUpgrade naar KadastraleKaart Pro
tGVBNywV0xZgogInONwByUpgrade naar KadastraleKaart Pro
VjgnQddszzUpgrade naar KadastraleKaart Pro
bduKeTIsU1UUpgrade naar KadastraleKaart Pro
18/03/2010

Percelen
Gebruik de zoekbalk of klik op een perceel om informatie over het perceel te bekijken.