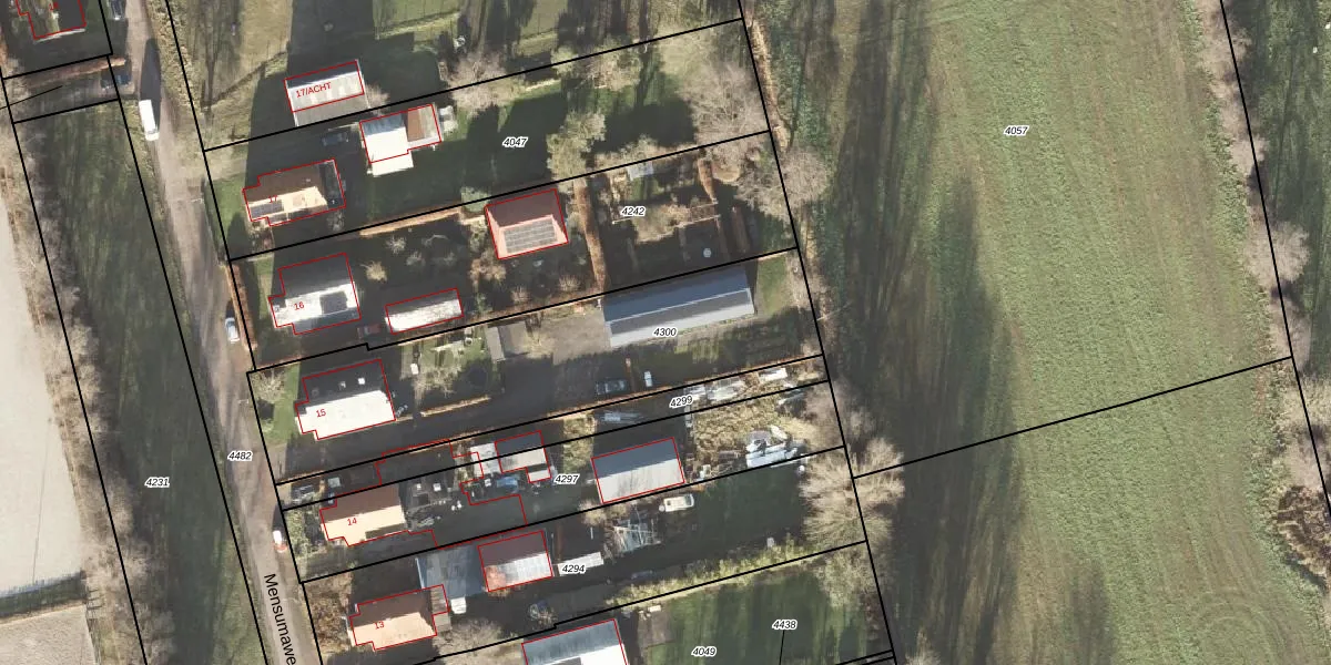
Perceel: LEE01-I-4300
KadastraleKaart.com kan meer dan je denktOntdek meer ›
Filter op bestemming 50+ datasets Eigendomsdata in één klik Percelen CRM
1.410 m2 - 205 m
Eigenaar opvragen
LEE01-I-4300 (Leek)
- 9356 BA
U1iL1gV j8tud0Oq fkrvbFcoHUpgrade naar KadastraleKaart Pro
Verkoopprijs opvragen
Bekijk op Street View
Download DWG/DXF/Excel
osom9nQZ3Upgrade naar KadastraleKaart Pro
JB1fHysCqYsp5Upgrade naar KadastraleKaart Pro
uz5pj3UzWt9So5Upgrade naar KadastraleKaart Pro
qE D5hyTofl xLUpgrade naar KadastraleKaart Pro
b6k1GPOIMY H6pUpgrade naar KadastraleKaart Pro
V8o5TRISCO1Upgrade naar KadastraleKaart Pro
hRHRGKdastl8LxSgSUpgrade naar KadastraleKaart Pro
vTDrJEu9 cp8TN4iKUpgrade naar KadastraleKaart Pro
DSWKhZaNS 8AuBZQUpgrade naar KadastraleKaart Pro
C sqf1 i7 KuX Uft18XTUpgrade naar KadastraleKaart Pro
22/07/2015

Percelen
Gebruik de zoekbalk of klik op een perceel om informatie over het perceel te bekijken.