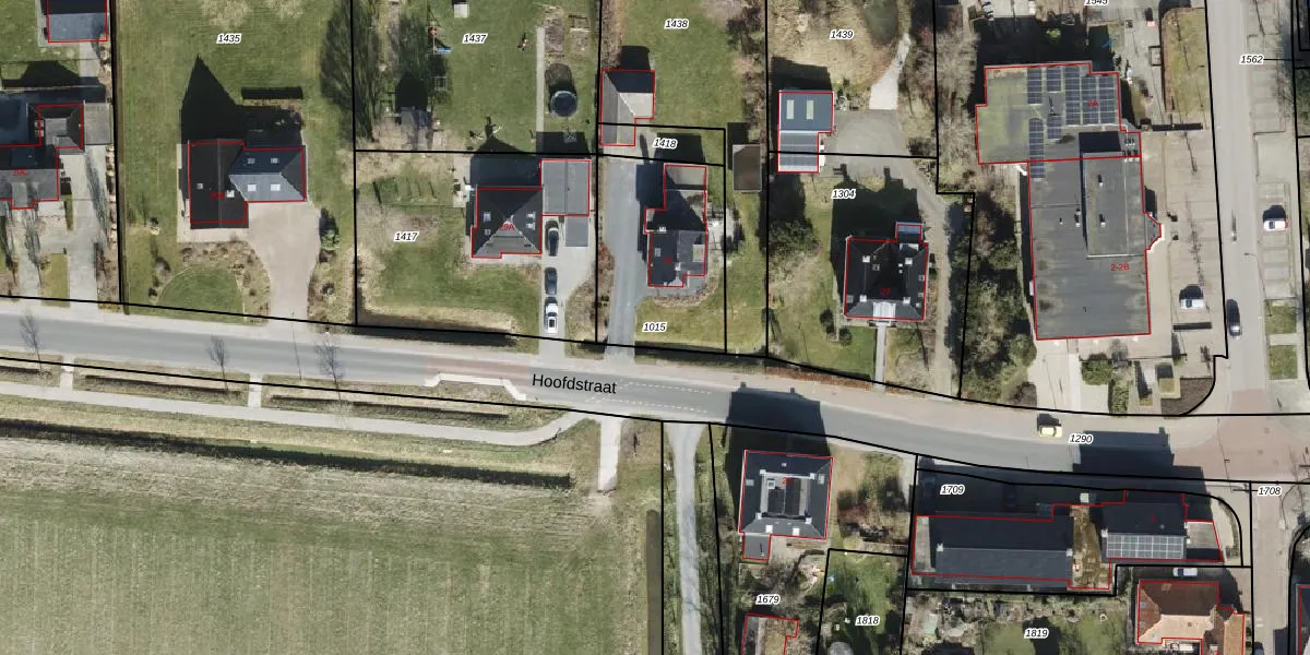
Perceel: LEE02-A-1015
563 m2 - 97 m
Eigenaar opvragen
LEE02-A-1015 (Leens)
- 9965 PA
Kvy cNVzkV1w0aONyQlHLdwOUpgrade naar KadastraleKaart Pro
Verkoopprijs opvragen
Bekijk op Street View
Download DWG/DXF/Excel
gzsWdWB a1oJclRRn2sUpgrade naar KadastraleKaart Pro
8fASUzJWNE IxY3l1fcUpgrade naar KadastraleKaart Pro
Ps7SV3dbXP sUpgrade naar KadastraleKaart Pro
KnNamHOwZ68AWUpgrade naar KadastraleKaart Pro
7braN11wUpgrade naar KadastraleKaart Pro
Xia0NA4C 1vUpgrade naar KadastraleKaart Pro
Ufxf90L M1FHFUpgrade naar KadastraleKaart Pro
TNY TpoPNUpgrade naar KadastraleKaart Pro
CCkwd FGl5RwlRK12aahzUpgrade naar KadastraleKaart Pro
f61gVZA6iBnef7kUpgrade naar KadastraleKaart Pro
18/10/2000

Percelen
Gebruik de zoekbalk of klik op een perceel om informatie over het perceel te bekijken.