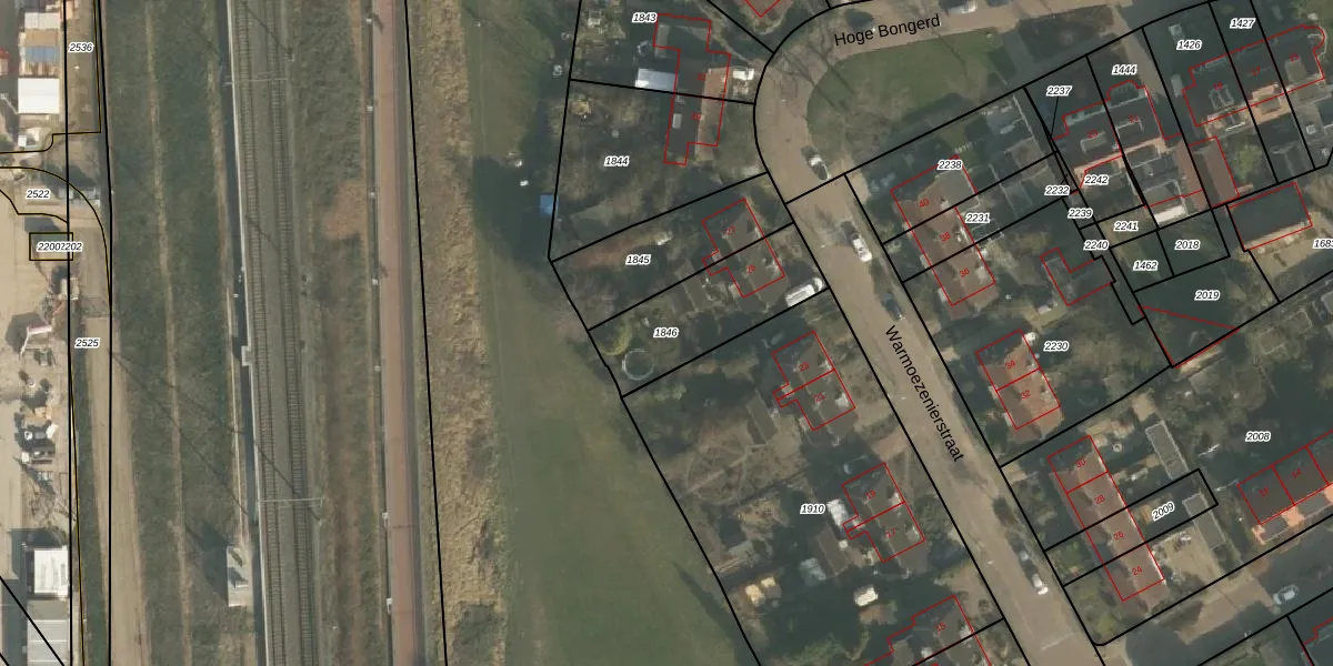
Perceel: LEN00-B-1846
KadastraleKaart.com kan meer dan je denktOntdek meer ›
Filter op bestemming 50+ datasets Eigendomsdata in één klik Percelen CRM
385 m2 - 93 m
Eigenaar opvragen
LEN00-B-1846 (Lent)
- 6663 AK
De QY0 HUBsCD4ZY lqoggHPh YCqUpgrade naar KadastraleKaart Pro
Verkoopprijs opvragen
Bekijk op Street View
Download DWG/DXF/Excel
gSWgM4tTHUpgrade naar KadastraleKaart Pro
iGeK6x EUpgrade naar KadastraleKaart Pro
pyPNr qmVgW Il6Awn7z5E5Upgrade naar KadastraleKaart Pro
Zo8NgImz 0r n1kKt lUpgrade naar KadastraleKaart Pro
XJP 9cYtWW8rux vBLUDUpgrade naar KadastraleKaart Pro
KV8NsLx9OdaeI0UScUpgrade naar KadastraleKaart Pro
YGr8WRgDNQJfaN 1BUpgrade naar KadastraleKaart Pro
mCF2jcUaRygnySYNUpgrade naar KadastraleKaart Pro
B399yhqPmk4nDMQsmUpgrade naar KadastraleKaart Pro
HWRrr0eKUpgrade naar KadastraleKaart Pro
26/10/2012

Percelen
Gebruik de zoekbalk of klik op een perceel om informatie over het perceel te bekijken.