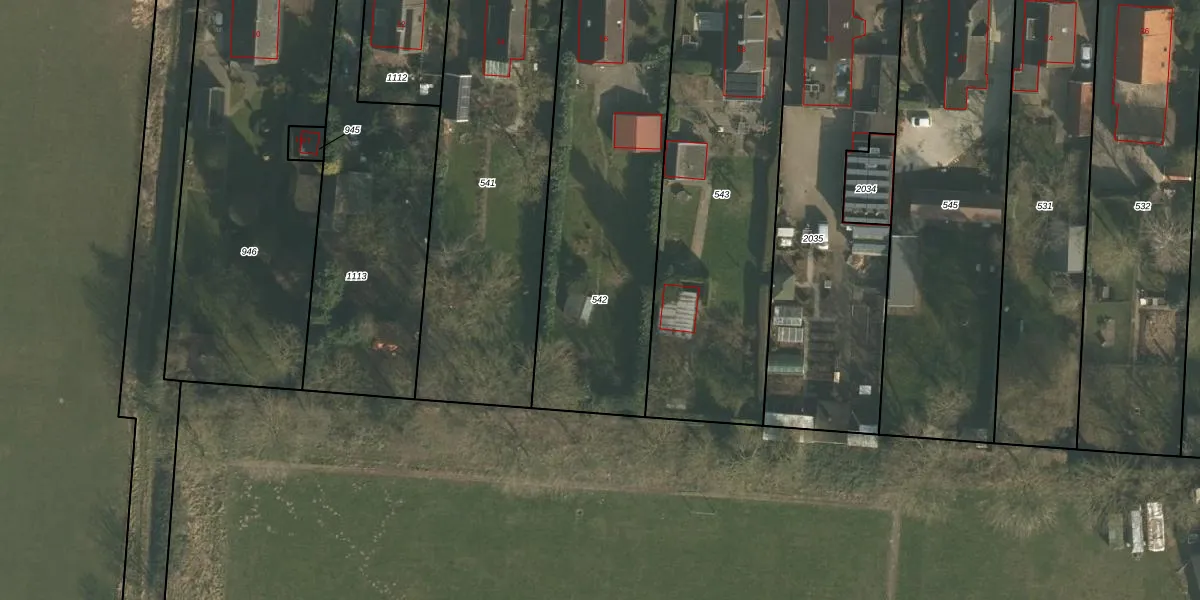
Perceel: LEU00-C-542
KadastraleKaart.com kan meer dan je denktOntdek meer ›
Filter op bestemming 50+ datasets Eigendomsdata in één klik Percelen CRM
1.450 m2 - 192 m
Eigenaar opvragen
LEU00-C-542 (Leuth)
- 6578 AC
zfKH4DOQ85Kbp1CMZkHH2PUpgrade naar KadastraleKaart Pro
Bekijk op Street View
Download DWG/DXF/Excel
ldP0NEg EcyYUpgrade naar KadastraleKaart Pro
vu5hBK0s6cUpgrade naar KadastraleKaart Pro
ATQCu56zjFhK3osTUpgrade naar KadastraleKaart Pro
TDRGPh aORuBe6Z 6rmUpgrade naar KadastraleKaart Pro
eir5lpyO96tBUyUpgrade naar KadastraleKaart Pro
kBKz C DnC6eY2v5BGUpgrade naar KadastraleKaart Pro
xnDDF3FioBiyx7ickUpgrade naar KadastraleKaart Pro
uKce4G2DOfEUpgrade naar KadastraleKaart Pro
ryqZJQFaJPpMrBHtUpgrade naar KadastraleKaart Pro
eYUxhUj5KaYCaLC8Pg8KkUpgrade naar KadastraleKaart Pro
04/04/2000

Percelen
Gebruik de zoekbalk of klik op een perceel om informatie over het perceel te bekijken.