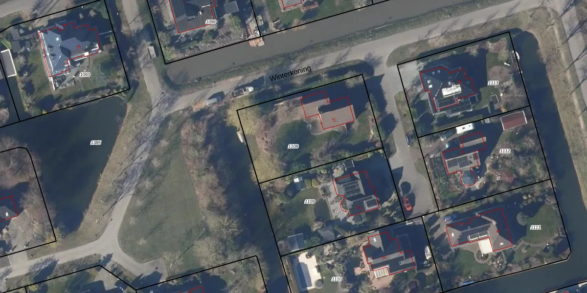
Perceel: LGD00-D-1108
KadastraleKaart.com kan meer dan je denktOntdek meer ›
Filter op bestemming 50+ datasets Eigendomsdata in één klik Percelen CRM
1.150 m2 - 141 m
Eigenaar opvragen
LGD00-D-1108 (Langedijk)
- 1722 CC
6s2D5LbwCqvP ibKdizWLJlHeUpgrade naar KadastraleKaart Pro
Bekijk op Street View
Download DWG/DXF/Excel
PIruCFIEw8 pmpSohv0Upgrade naar KadastraleKaart Pro
vL mw 2yW6uvmUpgrade naar KadastraleKaart Pro
v wIyHNYLgUpgrade naar KadastraleKaart Pro
0hqnO2os4mFYuUpgrade naar KadastraleKaart Pro
E 2ZZRH5yUpgrade naar KadastraleKaart Pro
PrqWmjSYUpgrade naar KadastraleKaart Pro
HLqfYis4Uga 2xZMc4Ya7PRUpgrade naar KadastraleKaart Pro
xNDUe 8z4o BypMwuCYBUpgrade naar KadastraleKaart Pro
vRjjY7Y3ixVeANP yUj Upgrade naar KadastraleKaart Pro
Z kJc DjG7GZmBTUpgrade naar KadastraleKaart Pro
13/10/2003

Percelen
Gebruik de zoekbalk of klik op een perceel om informatie over het perceel te bekijken.