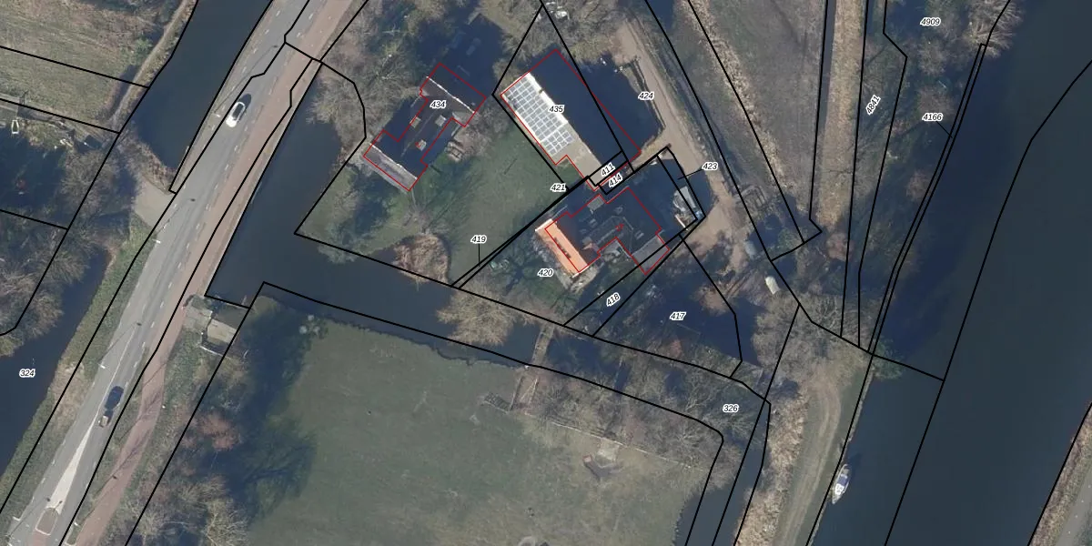
Perceel: LGD00-K-420
KadastraleKaart.com kan meer dan je denktOntdek meer ›
Filter op bestemming 50+ datasets Eigendomsdata in één klik Percelen CRM
640 m2 - 114 m
Eigenaar opvragen
LGD00-K-420 (Langedijk)
- 1834 JA
McNT8GN65g Exi5bUpgrade naar KadastraleKaart Pro
Verkoopprijs opvragen
Bekijk op Street View
Download DWG/DXF/Excel
UpHO7ILVi OGO 3lfTugUpgrade naar KadastraleKaart Pro
oQKP4UtqnLzUpgrade naar KadastraleKaart Pro
a UBUDJfKe fvDyIy bUpgrade naar KadastraleKaart Pro
ZQ8q7j j2fWPhLgJ5Upgrade naar KadastraleKaart Pro
Z4y2dJ4qbaUpgrade naar KadastraleKaart Pro
t NRPWt1VegyRUpgrade naar KadastraleKaart Pro
Xe9iDobPUpgrade naar KadastraleKaart Pro
8vu8rP Sjh2eee2Dc6j0oUpgrade naar KadastraleKaart Pro
11ER DS6EDPOCvGL46SUpgrade naar KadastraleKaart Pro
on w es ca2dlJpATbYaUpgrade naar KadastraleKaart Pro
18/06/2021

Percelen
Gebruik de zoekbalk of klik op een perceel om informatie over het perceel te bekijken.