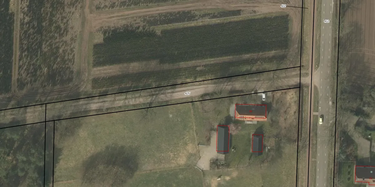
Perceel: LGT00-E-425
KadastraleKaart.com kan meer dan je denktOntdek meer ›
Filter op bestemming 50+ datasets Eigendomsdata in één klik Percelen CRM
Geen adressen bij dit perceel
1.400 m2 - 295 m
Eigenaar opvragen
LGT00-E-425 (Luyksgestel)
- Geen postcode aanwezig
9NItZQA1qU4mMZ eQIteUpgrade naar KadastraleKaart Pro
Bekijk op Street View
Download DWG/DXF/Excel
69waqjnLPe0eQbdmUpgrade naar KadastraleKaart Pro
WP4A C4Pek k 2xUpgrade naar KadastraleKaart Pro
yg9AN9Uqif7Me0 B86Upgrade naar KadastraleKaart Pro
p22UW8ZKvUpgrade naar KadastraleKaart Pro
sMLe SnJUpgrade naar KadastraleKaart Pro
FgB 0sQOvbuy2 GUpgrade naar KadastraleKaart Pro
K 4xlmqUpgrade naar KadastraleKaart Pro
q9E8u4oGRmmLyAMPUpgrade naar KadastraleKaart Pro
ySNxdA oW8dDTDw6Upgrade naar KadastraleKaart Pro
tKmV5wtoMEhAgR6y UL4hUpgrade naar KadastraleKaart Pro
18/01/2008

Percelen
Gebruik de zoekbalk of klik op een perceel om informatie over het perceel te bekijken.