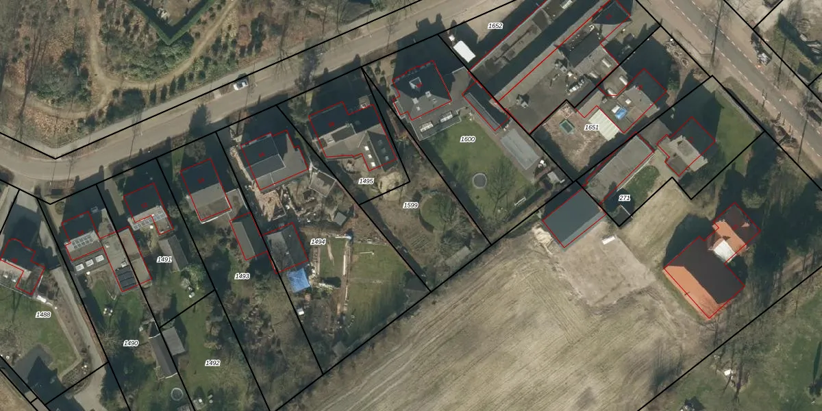
Perceel: LHT00-C-1599
KadastraleKaart.com kan meer dan je denktOntdek meer ›
Filter op bestemming 50+ datasets Eigendomsdata in één klik Percelen CRM
Geen adressen bij dit perceel
593 m2 - 144 m
Eigenaar opvragen
LHT00-C-1599 (Lieshout)
- Geen postcode aanwezig
zbiSxM4yT2SSnDC3xoKU4y OTjK8XwUpgrade naar KadastraleKaart Pro
Bekijk op Street View
Download DWG/DXF/Excel
BEFwt 1nFTZd4MAIOLu vXUpgrade naar KadastraleKaart Pro
znFg5L46BQDzjHlzUpgrade naar KadastraleKaart Pro
hjubxI1ILEvvCwUpgrade naar KadastraleKaart Pro
cnuLwGNMNZ2PTpKtx5OmUpgrade naar KadastraleKaart Pro
EIYqA bOz1AGKmrwM9 SKXfUpgrade naar KadastraleKaart Pro
IqfgQMlqTsoCFv5fejVY 6pUpgrade naar KadastraleKaart Pro
w3PtzqePnJUpgrade naar KadastraleKaart Pro
sG P aVXu6vwEKUpgrade naar KadastraleKaart Pro
nF Q2SRZafUpgrade naar KadastraleKaart Pro
ZY0cExv4 S hizUpgrade naar KadastraleKaart Pro
05/10/2009

Percelen
Gebruik de zoekbalk of klik op een perceel om informatie over het perceel te bekijken.