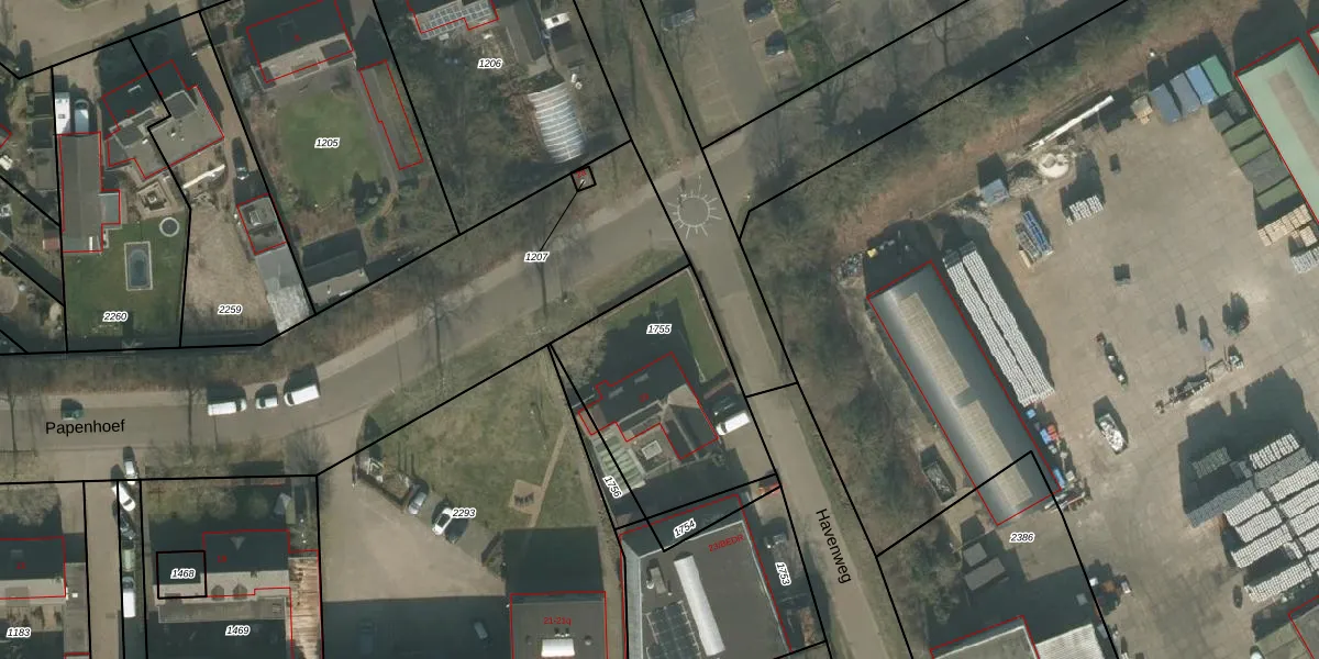
Perceel: LHT00-I-1755
KadastraleKaart.com kan meer dan je denktOntdek meer ›
Filter op bestemming 50+ datasets Eigendomsdata in één klik Percelen CRM
740 m2 - 110 m
Eigenaar opvragen
LHT00-I-1755 (Lieshout)
- 5737 BS
V1YQIzfu6AZK1 giuBtZM3m2E YHGiiUpgrade naar KadastraleKaart Pro
Bekijk op Street View
Download DWG/DXF/Excel
yNvFd2Ec5 bhPcUpgrade naar KadastraleKaart Pro
fFlGpoSwW7kg1CIbeVjjOUpgrade naar KadastraleKaart Pro
6goGm90 2 pDhwP5HUpgrade naar KadastraleKaart Pro
HX5uW52rF rEJYUpgrade naar KadastraleKaart Pro
d1slvuEeoj0Upgrade naar KadastraleKaart Pro
Ty6 f3h6VWIzyKAhvD0CwtUpgrade naar KadastraleKaart Pro
zXKNzzcc2YKiSzDtLEVN6VUpgrade naar KadastraleKaart Pro
tXq7gkcJBUpgrade naar KadastraleKaart Pro
LsGFeC7MN91ffKrnUpgrade naar KadastraleKaart Pro
b SQCYYMQjW WutUpgrade naar KadastraleKaart Pro
19/10/2009

Percelen
Gebruik de zoekbalk of klik op een perceel om informatie over het perceel te bekijken.