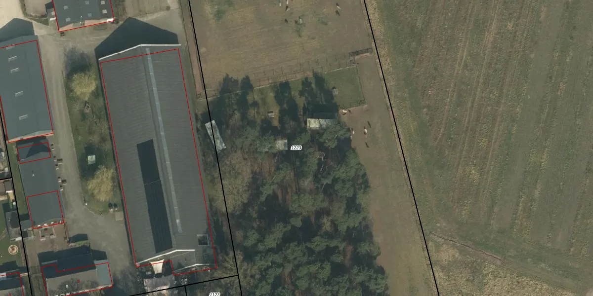
Perceel: LHT00-K-1223
KadastraleKaart.com kan meer dan je denktOntdek meer ›
Filter op bestemming 50+ datasets Eigendomsdata in één klik Percelen CRM
Geen adressen bij dit perceel
13.020 m2 - 556 m
Eigenaar opvragen
LHT00-K-1223 (Lieshout)
- Geen postcode aanwezig
G7ZDhzHdRNts suKmcXb5Upgrade naar KadastraleKaart Pro
Bekijk op Street View
Download DWG/DXF/Excel
MtSnJJTUZcBr3u7bLLd7Upgrade naar KadastraleKaart Pro
gcTfxj2sel Me5rMW6oTXPXUpgrade naar KadastraleKaart Pro
EyLzc9DKYrbmptecQGWJFwRUpgrade naar KadastraleKaart Pro
1hxa7hy06ZoUpgrade naar KadastraleKaart Pro
YVnRt rLT hWkC Vcz icdkUpgrade naar KadastraleKaart Pro
yq2dP5WKCKjPUpgrade naar KadastraleKaart Pro
r2HUaeGjUwLx6Ii4Upgrade naar KadastraleKaart Pro
DsW6xAR0 z4bJChdUpgrade naar KadastraleKaart Pro
QDUMxXSF pwWZLsEUpgrade naar KadastraleKaart Pro
PI5CPIiZpzu8CSFUUpgrade naar KadastraleKaart Pro
23/08/2018

Percelen
Gebruik de zoekbalk of klik op een perceel om informatie over het perceel te bekijken.