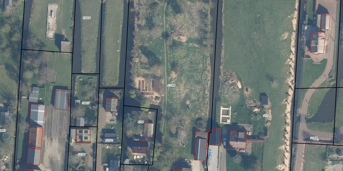
Perceel: LKK00-C-11244
5.774 m2 - 383 m
Eigenaar opvragen
LKK00-C-11244 (Lekkerkerk)
- 2941 AP
gyl2bnmuSb0TsYthla8HIyndHyHuewsUpgrade naar KadastraleKaart Pro
Verkoopprijs opvragen
Bekijk op Street View
Download DWG/DXF/Excel
Ke2HRS8 gFItYoUPfZUpgrade naar KadastraleKaart Pro
MAw1TjpfwqQD Upgrade naar KadastraleKaart Pro
eLnNmMjG4 IvjuTdEUpgrade naar KadastraleKaart Pro
FTyYgwxbt0fUpgrade naar KadastraleKaart Pro
qfdc0lv9AvDN63Upgrade naar KadastraleKaart Pro
Ccw5Nvh OwjCaQQYuEWUpgrade naar KadastraleKaart Pro
etR1BHK1fnnE6zGkpUpgrade naar KadastraleKaart Pro
PJmfbaQ7P hmXoUpgrade naar KadastraleKaart Pro
1iJZzqaRDpR3UObbpCSUpgrade naar KadastraleKaart Pro
Q G7Rcf7zsUpgrade naar KadastraleKaart Pro
16/06/2020

Percelen
Gebruik de zoekbalk of klik op een perceel om informatie over het perceel te bekijken.