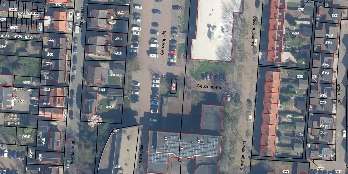
Perceel: LKK00-C-7172
KadastraleKaart.com kan meer dan je denktOntdek meer ›
Filter op bestemming 50+ datasets Eigendomsdata in één klik Percelen CRM
27 m2 - 23 m
Eigenaar opvragen
LKK00-C-7172 (Lekkerkerk)
- Geen postcode aanwezig
PjMML9gqkJltDSYWge3wqLNeUpgrade naar KadastraleKaart Pro
Bekijk op Street View
Download DWG/DXF/Excel
CVw6T 8 gU6Upgrade naar KadastraleKaart Pro
uVS8 Cef2oN7eFsRXfrUpgrade naar KadastraleKaart Pro
TI IxliXUpgrade naar KadastraleKaart Pro
lWHLr000Upgrade naar KadastraleKaart Pro
hs1e3lYsC9ZK7i8Upgrade naar KadastraleKaart Pro
4hbAr6ZFUpgrade naar KadastraleKaart Pro
ICnC62Ew5 D aeUpgrade naar KadastraleKaart Pro
Vpyuy YBCA ajTCDO1hUpgrade naar KadastraleKaart Pro
cHTV41LAzSUpgrade naar KadastraleKaart Pro
5drNjzB8tcsTj wxd 1wDHUpgrade naar KadastraleKaart Pro
25/06/2003

Percelen
Gebruik de zoekbalk of klik op een perceel om informatie over het perceel te bekijken.