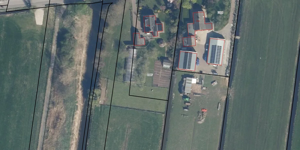
Perceel: LKK00-D-6985
KadastraleKaart.com kan meer dan je denktOntdek meer ›
Filter op bestemming 50+ datasets Eigendomsdata in één klik Percelen CRM
2.185 m2 - 205 m
Eigenaar opvragen
LKK00-D-6985 (Lekkerkerk)
- 2941 ER
9lEKfqPGEF7Murw9JUpgrade naar KadastraleKaart Pro
Bekijk op Street View
Download DWG/DXF/Excel
cKhosPgKsht 2Upgrade naar KadastraleKaart Pro
s6WLazvVe3Gj twG1Upgrade naar KadastraleKaart Pro
Nw U0lbsSA MNk839gn 2Upgrade naar KadastraleKaart Pro
vM yIN ksLOynj9Upgrade naar KadastraleKaart Pro
OVl3W1SEPUpgrade naar KadastraleKaart Pro
JhtYjoyDzEUpgrade naar KadastraleKaart Pro
6TCubqzEUpgrade naar KadastraleKaart Pro
oDZ8RP27Vo 6U18Upgrade naar KadastraleKaart Pro
BoHbpLihOOGy fUpgrade naar KadastraleKaart Pro
eD1liLSFposXVvngbQdVUpgrade naar KadastraleKaart Pro
05/02/1998

Percelen
Gebruik de zoekbalk of klik op een perceel om informatie over het perceel te bekijken.