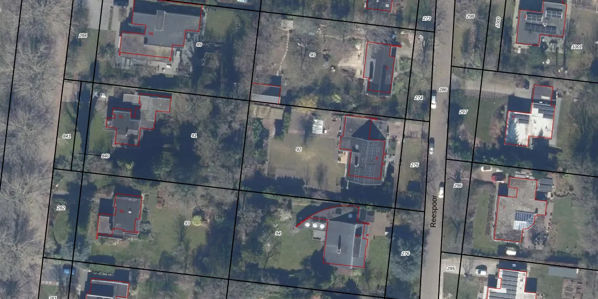
Perceel: LLS00-F-92
KadastraleKaart.com kan meer dan je denktOntdek meer ›
Filter op bestemming 50+ datasets Eigendomsdata in één klik Percelen CRM
1.578 m2 - 165 m
Eigenaar opvragen
LLS00-F-92 (Lelystad)
- 8222 AD
4g09o6T10rzZbmBV JPWE7Upgrade naar KadastraleKaart Pro
Verkoopprijs opvragen
Bekijk op Street View
Download DWG/DXF/Excel
BJlk7NP4E G4InrJaGUpgrade naar KadastraleKaart Pro
MDAaerQ u0nIJxsXKukE9JUpgrade naar KadastraleKaart Pro
vx PHwhDCVY61Upgrade naar KadastraleKaart Pro
n1TGOFDUnUpgrade naar KadastraleKaart Pro
aZMLrhEIfTCory9Upgrade naar KadastraleKaart Pro
Foas9aCbHkLSq 9 HpAgUpgrade naar KadastraleKaart Pro
B6BgmebGpXEi5g2ftT Upgrade naar KadastraleKaart Pro
gQ ydQ9Upgrade naar KadastraleKaart Pro
KRAonHSdvnkAf ViFz AUpgrade naar KadastraleKaart Pro
2XRO2Pdpm Upgrade naar KadastraleKaart Pro
20/08/1997

Percelen
Gebruik de zoekbalk of klik op een perceel om informatie over het perceel te bekijken.