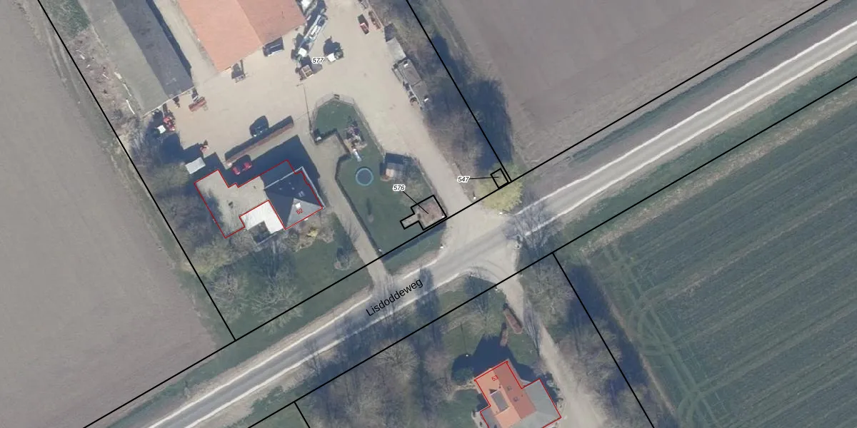
Perceel: LLS00-I-576
KadastraleKaart.com kan meer dan je denktOntdek meer ›
Filter op bestemming 50+ datasets Eigendomsdata in één klik Percelen CRM
Geen adressen bij dit perceel
45 m2 - 31 m
Eigenaar opvragen
LLS00-I-576 (Lelystad)
- Geen postcode aanwezig
EX50gvLJo WgILd BteXohyxUpgrade naar KadastraleKaart Pro
Bekijk op Street View
Download DWG/DXF/Excel
gQB4jnyvEvyHRl h hCQ7aiUpgrade naar KadastraleKaart Pro
lFcpr Sd R D6qUpgrade naar KadastraleKaart Pro
q o0 lBiEUpgrade naar KadastraleKaart Pro
MPGp9B4wARI1XUpgrade naar KadastraleKaart Pro
3r148xSlYE lj24udyjUpgrade naar KadastraleKaart Pro
fWqy8UzvDuKjUpgrade naar KadastraleKaart Pro
BA sfGXN TqxmcUpgrade naar KadastraleKaart Pro
SCa udeX1U hTker aasXUpgrade naar KadastraleKaart Pro
Y8Wvz cBKrq Rk v AFRQ3 Upgrade naar KadastraleKaart Pro
KPF 7Q jhUpgrade naar KadastraleKaart Pro
29/06/2011

Percelen
Gebruik de zoekbalk of klik op een perceel om informatie over het perceel te bekijken.