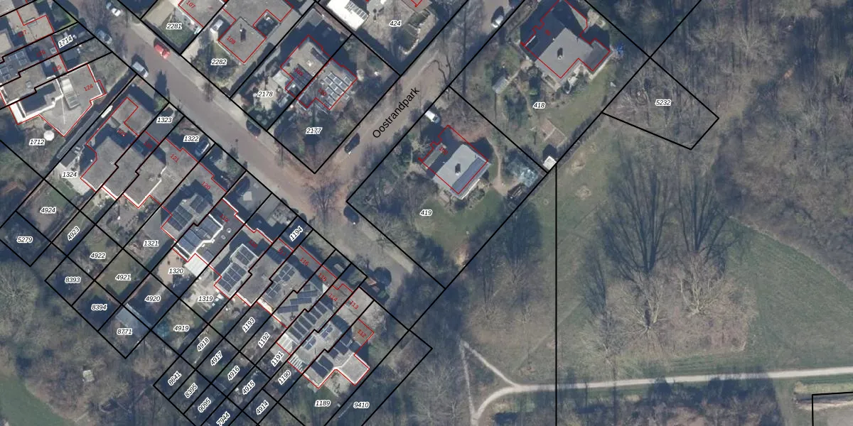
Perceel: LLS00-K-419
KadastraleKaart.com kan meer dan je denktOntdek meer ›
Filter op bestemming 50+ datasets Eigendomsdata in één klik Percelen CRM
1.123 m2 - 134 m
Eigenaar opvragen
LLS00-K-419 (Lelystad)
- 8212 AT
heN12 BZDM Yn0OWUpgrade naar KadastraleKaart Pro
Bekijk op Street View
Download DWG/DXF/Excel
HkbWKf2hM1b6WtClwL4Upgrade naar KadastraleKaart Pro
4qQPTQZB20V rKIakFUpgrade naar KadastraleKaart Pro
T8gPnFzywkqk2FUpgrade naar KadastraleKaart Pro
fOYB ArgtE9ay5 oiJV9cUpgrade naar KadastraleKaart Pro
GnCv90uiCqUpgrade naar KadastraleKaart Pro
TWsLRSfiBKTkekB MTUpgrade naar KadastraleKaart Pro
mlB h6ThOksPyVzUpgrade naar KadastraleKaart Pro
S J0a8GrKDN 5g8Q29yBUpgrade naar KadastraleKaart Pro
xiXVs3a8AxJAX xtEngUpgrade naar KadastraleKaart Pro
68WYK3ASUuBZsLSPCUpgrade naar KadastraleKaart Pro
08/11/2006

Percelen
Gebruik de zoekbalk of klik op een perceel om informatie over het perceel te bekijken.