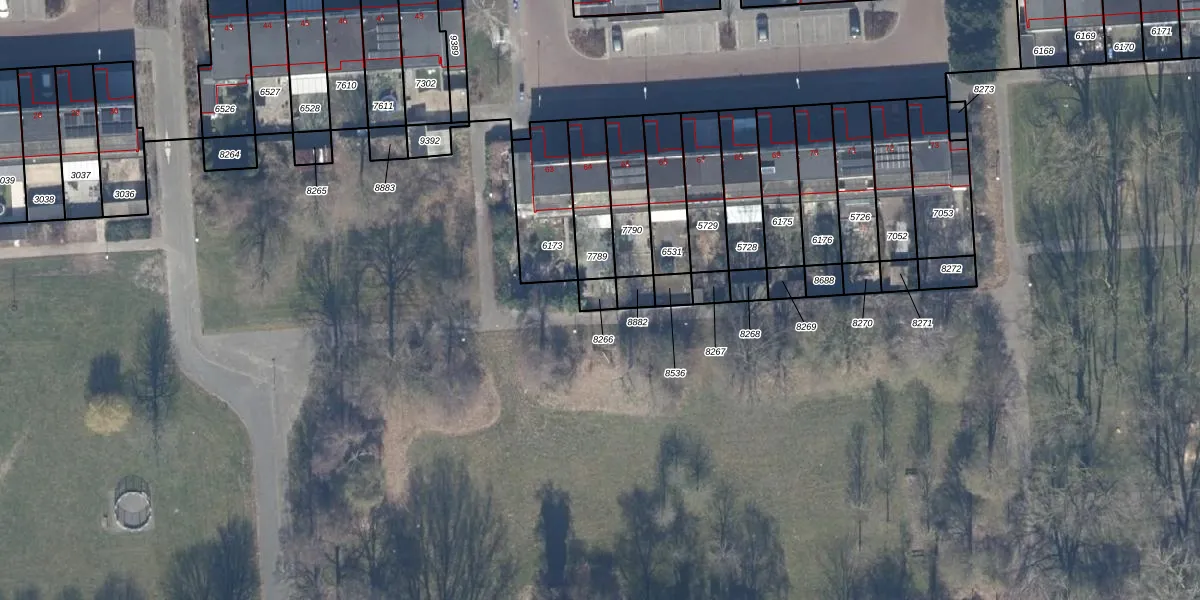
Perceel: LLS00-K-8266
Geen adressen bij dit perceel
33 m2 - 23 m
Eigenaar opvragen
LLS00-K-8266 (Lelystad)
- Geen postcode aanwezig
ocAQrz R8xZu3FqexE HrUpgrade naar KadastraleKaart Pro
Bekijk op Street View
Download DWG/DXF/Excel
b0H6 cu 40rIzbZEZZgUpgrade naar KadastraleKaart Pro
hMJmE9C1 Nr39BMGCcu6hUpgrade naar KadastraleKaart Pro
D0OH9hmL3h5WZf Upgrade naar KadastraleKaart Pro
ZDC4 m Olp6Upgrade naar KadastraleKaart Pro
SdPzn46tushaUpgrade naar KadastraleKaart Pro
p c7S6k3gUpgrade naar KadastraleKaart Pro
2LieQKjSYsHCUpgrade naar KadastraleKaart Pro
V0tz0kJBjjf 4YdIp OAQdBUpgrade naar KadastraleKaart Pro
cbNsgA NpwNXIsLvH6hdNM9Upgrade naar KadastraleKaart Pro
qcJ A eiXo Upgrade naar KadastraleKaart Pro
20/07/2007

Percelen
Gebruik de zoekbalk of klik op een perceel om informatie over het perceel te bekijken.