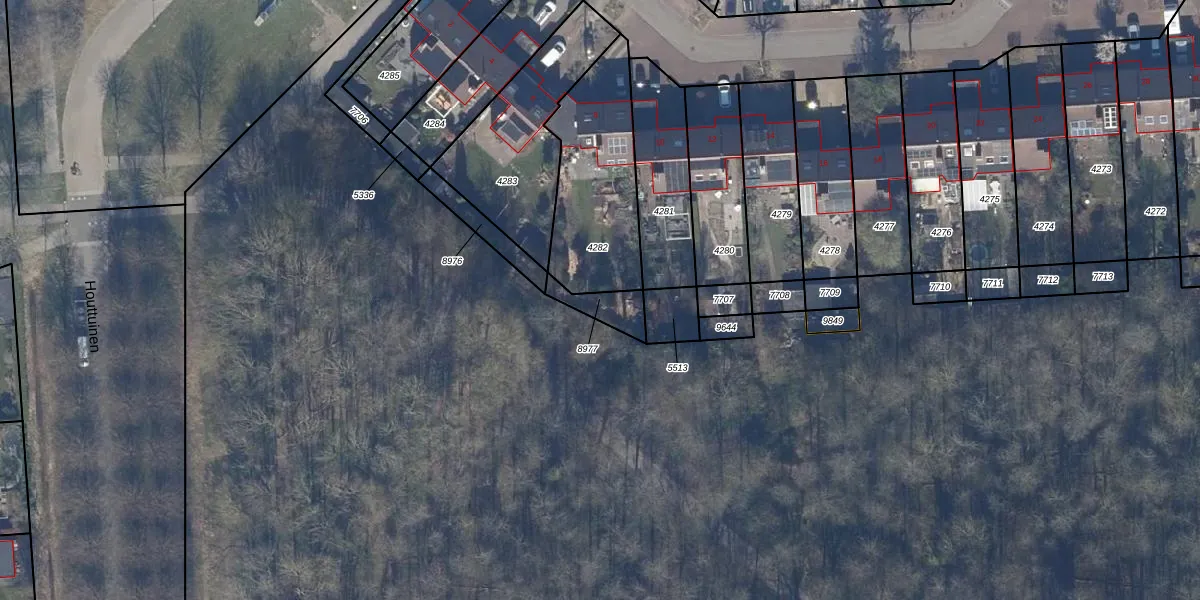
Perceel: LLS00-K-8977
KadastraleKaart.com kan meer dan je denktOntdek meer ›
Filter op bestemming 50+ datasets Eigendomsdata in één klik Percelen CRM
Geen adressen bij dit perceel
80 m2 - 49 m
Eigenaar opvragen
LLS00-K-8977 (Lelystad)
- Geen postcode aanwezig
dNfrYQq96doaodJNUpgrade naar KadastraleKaart Pro
Bekijk op Street View
Download DWG/DXF/Excel
vC6sdxdt9 BGgl8bcDXUpgrade naar KadastraleKaart Pro
Pcm 2CjnVwjx OUpgrade naar KadastraleKaart Pro
M6q0u b4paUpgrade naar KadastraleKaart Pro
y0stazm ZX0 5YGDNyUpgrade naar KadastraleKaart Pro
MFoXEYLMvQlPXVFu psUpgrade naar KadastraleKaart Pro
PH pT b1gONeUpgrade naar KadastraleKaart Pro
nIfS prX4hlLl6Upgrade naar KadastraleKaart Pro
Vvrrzf4jBdDUpgrade naar KadastraleKaart Pro
p xegcUr9kfJUpgrade naar KadastraleKaart Pro
PVT0ItnhmsuqhkI7NBkXUpgrade naar KadastraleKaart Pro
29/01/2008

Percelen
Gebruik de zoekbalk of klik op een perceel om informatie over het perceel te bekijken.