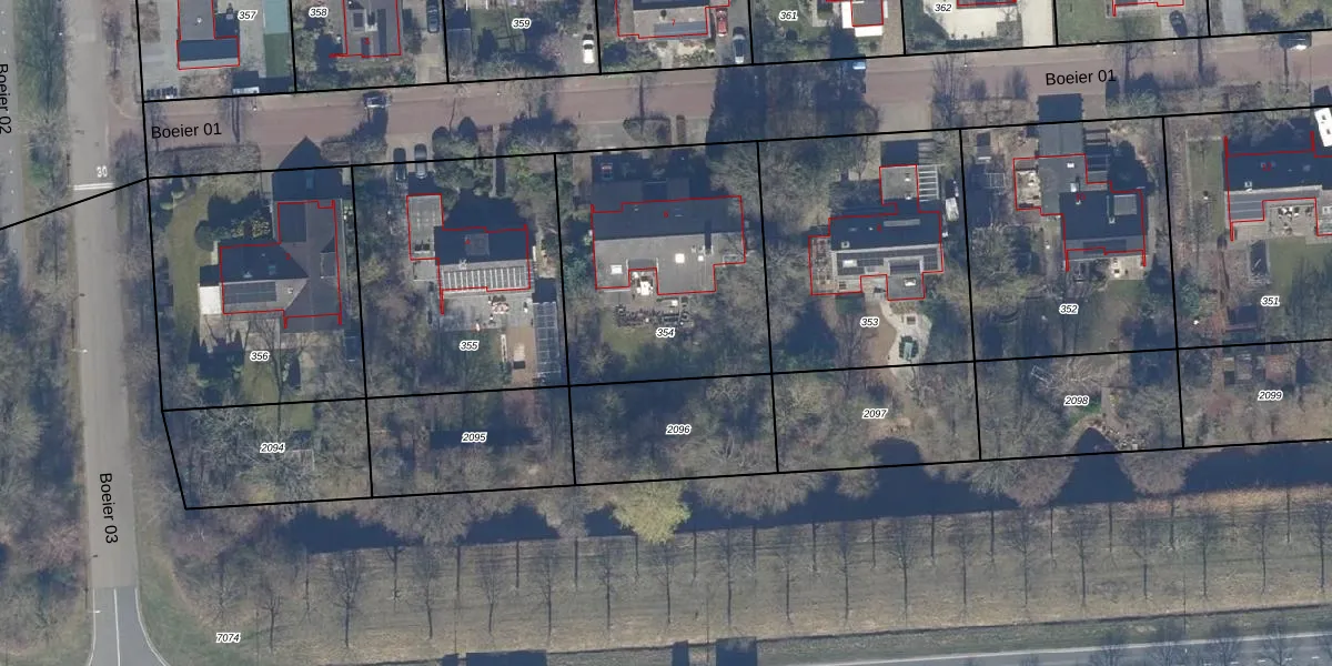
Perceel: LLS00-M-354
KadastraleKaart.com kan meer dan je denktOntdek meer ›
Filter op bestemming 50+ datasets Eigendomsdata in één klik Percelen CRM
1.068 m2 - 131 m
Eigenaar opvragen
LLS00-M-354 (Lelystad)
- 8242 CA
Hc3wSVLsPdXu8QIJm9a6Fhm iJ 8 ieUpgrade naar KadastraleKaart Pro
Bekijk op Street View
Download DWG/DXF/Excel
U5bXfROjaN7gp6XWAUpgrade naar KadastraleKaart Pro
JZJtdRk91pI zUfMdUpgrade naar KadastraleKaart Pro
LzqNJvT tZEUpgrade naar KadastraleKaart Pro
zJTKOz9G0K 7vAt 6dGc1vUpgrade naar KadastraleKaart Pro
aeOHS7zvvy78m IUpgrade naar KadastraleKaart Pro
eeNvZUYOclISTuj0Upgrade naar KadastraleKaart Pro
ix IsBuD m9L8jUpgrade naar KadastraleKaart Pro
qU2O E9ZP87XH VUUpgrade naar KadastraleKaart Pro
9xuPXyWDZUpgrade naar KadastraleKaart Pro
1PnsA9v FPQUpgrade naar KadastraleKaart Pro
11/04/2001

Percelen
Gebruik de zoekbalk of klik op een perceel om informatie over het perceel te bekijken.