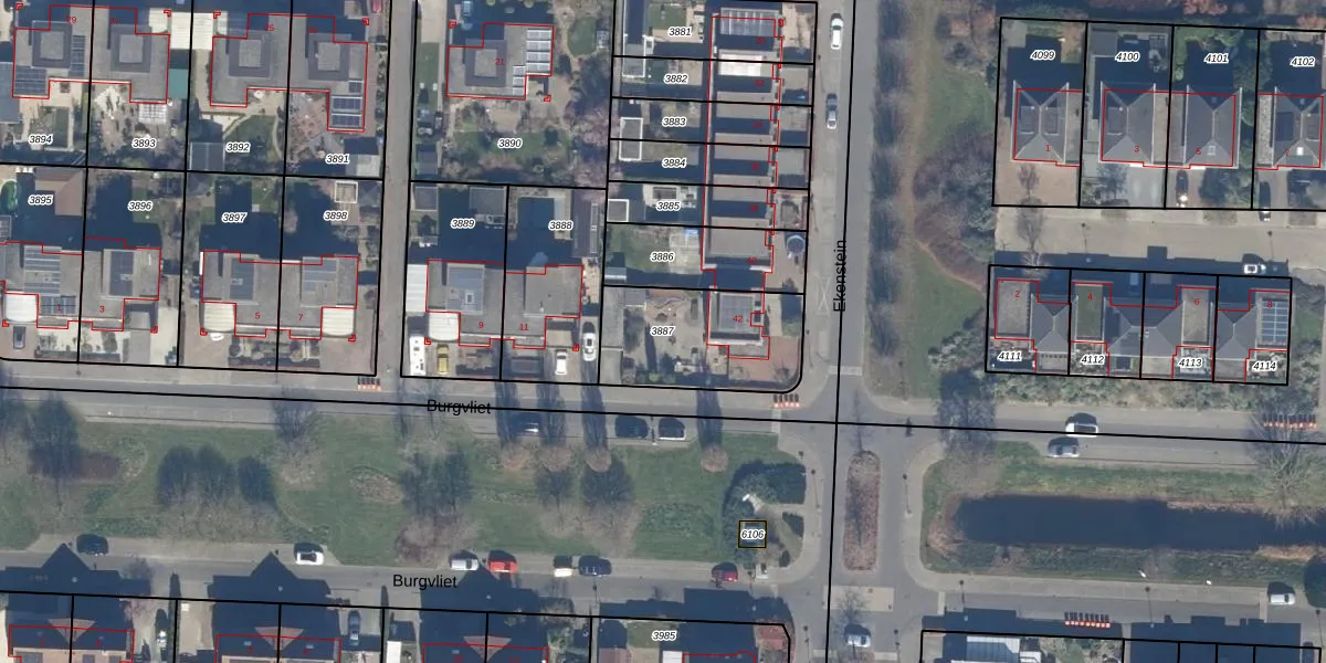
Perceel: LLS00-P-3887
KadastraleKaart.com kan meer dan je denktOntdek meer ›
Filter op bestemming 50+ datasets Eigendomsdata in één klik Percelen CRM
457 m2 - 90 m
Eigenaar opvragen
LLS00-P-3887 (Lelystad)
- 8226 RH
RswyiHidIsr2UmHEBTV55k9ZYX Q Upgrade naar KadastraleKaart Pro
Bekijk op Street View
Download DWG/DXF/Excel
kPA di6OX OrqT FLUpgrade naar KadastraleKaart Pro
Ab8rJ7Xghea0dwx CMHtmw7Upgrade naar KadastraleKaart Pro
AZVq99mC CCUoGz pZVUpgrade naar KadastraleKaart Pro
EElbzPy Upgrade naar KadastraleKaart Pro
VBs99XrILsZIcoPJaxUpgrade naar KadastraleKaart Pro
XWI1Klp08OdiUpgrade naar KadastraleKaart Pro
eDX 2mh 0XUpgrade naar KadastraleKaart Pro
nG73Wyl8 Upgrade naar KadastraleKaart Pro
tYamj 89Upgrade naar KadastraleKaart Pro
iooTE lDsB4Upgrade naar KadastraleKaart Pro
19/08/2004

Percelen
Gebruik de zoekbalk of klik op een perceel om informatie over het perceel te bekijken.