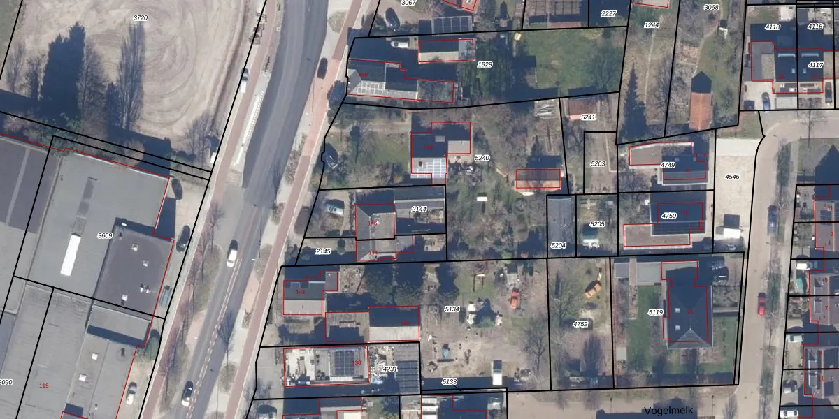
Perceel: LMN00-A-2144
KadastraleKaart.com kan meer dan je denktOntdek meer ›
Filter op bestemming 50+ datasets Eigendomsdata in één klik Percelen CRM
377 m2 - 89 m
Eigenaar opvragen
LMN00-A-2144 (Limmen)
- 1906 BL
SNVGrrEStc1qLquncT61sky8Ei 7briUpgrade naar KadastraleKaart Pro
Verkoopprijs opvragen
Bekijk op Street View
Download DWG/DXF/Excel
j74F0d9 NfjG48oUpgrade naar KadastraleKaart Pro
9 Cj3QC5bgb5393Upgrade naar KadastraleKaart Pro
931qVCmdm souc1AQUpgrade naar KadastraleKaart Pro
b0n6mLoKpOoVUpgrade naar KadastraleKaart Pro
JC sTydFUpgrade naar KadastraleKaart Pro
LtQBvh a86NczUpgrade naar KadastraleKaart Pro
uRzc s aPD0Upgrade naar KadastraleKaart Pro
P6cmABE4Upgrade naar KadastraleKaart Pro
0WPgmUtIC Lo4e Upgrade naar KadastraleKaart Pro
O8 78fCIMjiWyfqajduF3PfUpgrade naar KadastraleKaart Pro
21/05/2003

Percelen
Gebruik de zoekbalk of klik op een perceel om informatie over het perceel te bekijken.