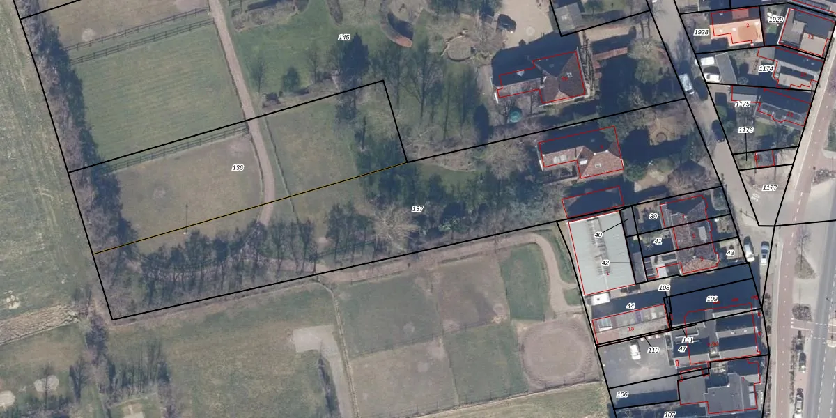
Perceel: LMN00-D-137
KadastraleKaart.com kan meer dan je denktOntdek meer ›
Filter op bestemming 50+ datasets Eigendomsdata in één klik Percelen CRM
3.020 m2 - 335 m
Eigenaar opvragen
LMN00-D-137 (Limmen)
- 1906 EC
YyY ULJt yS41S1DM5EZIaq evpVCUpgrade naar KadastraleKaart Pro
Bekijk op Street View
Download DWG/DXF/Excel
ukpkimx JNTn 6igSkUpgrade naar KadastraleKaart Pro
OunOTYoQPds5nTwxRzmjBUpgrade naar KadastraleKaart Pro
GkxgGAOdt6fkvTmnOsUpgrade naar KadastraleKaart Pro
8qCLXTfyA63lHUGm7GW7xUpgrade naar KadastraleKaart Pro
Py8eUjgBsNUpgrade naar KadastraleKaart Pro
871MPG7 uDDsMI8NUpgrade naar KadastraleKaart Pro
Hr8f97ogSUpgrade naar KadastraleKaart Pro
2xBc UoYEmxP4Upgrade naar KadastraleKaart Pro
dP5sjniHJ nh K7JfWjZUpgrade naar KadastraleKaart Pro
4BIR8OdBSERjtsPmqSIEUpgrade naar KadastraleKaart Pro
07/06/2022

Percelen
Gebruik de zoekbalk of klik op een perceel om informatie over het perceel te bekijken.