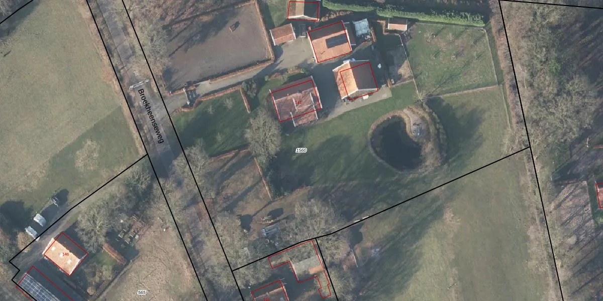
Perceel: LNK00-AA-1560
KadastraleKaart.com kan meer dan je denktOntdek meer ›
Filter op bestemming 50+ datasets Eigendomsdata in één klik Percelen CRM
8.922 m2 - 392 m
Eigenaar opvragen
LNK00-AA-1560 (Lonneker)
- 7534 PC
aO lCPCs3Pk7Jl255iqwWL5hBCnbUpgrade naar KadastraleKaart Pro
Bekijk op Street View
Download DWG/DXF/Excel
2DszFWU2Upgrade naar KadastraleKaart Pro
lI1avSewixQFPFpUpgrade naar KadastraleKaart Pro
BG11lQTCdUpgrade naar KadastraleKaart Pro
lGxTMT8Kxr2OKcdUpgrade naar KadastraleKaart Pro
5UqbQApPQkx6Upgrade naar KadastraleKaart Pro
fyWI8eU6Jc6AGUpgrade naar KadastraleKaart Pro
cho t4JXUpgrade naar KadastraleKaart Pro
hdJxrasEkFVdZueUHvEG5TUpgrade naar KadastraleKaart Pro
ziCRZVEn1tUpgrade naar KadastraleKaart Pro
tRDN Ha13Ns8Upgrade naar KadastraleKaart Pro
27/08/2001

Percelen
Gebruik de zoekbalk of klik op een perceel om informatie over het perceel te bekijken.