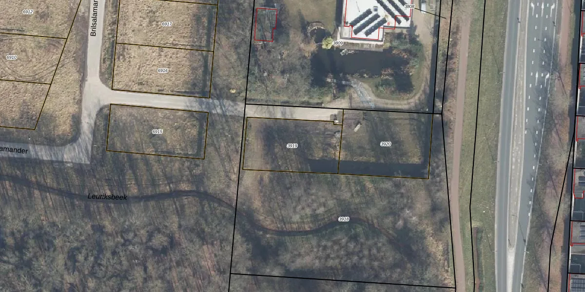
Perceel: LNK00-AA-3919
KadastraleKaart.com kan meer dan je denktOntdek meer ›
Filter op bestemming 50+ datasets Eigendomsdata in één klik Percelen CRM
581 m2 - 101 m
Eigenaar opvragen
LNK00-AA-3919 (Lonneker)
- 7534 RC
jIl6MlRaVUiQWSJO5unKWcUpgrade naar KadastraleKaart Pro
Bekijk op Street View
Download DWG/DXF/Excel
ByIuvTp6xry Jav1dFiFUpgrade naar KadastraleKaart Pro
3x6PGXE 8u1N5Upgrade naar KadastraleKaart Pro
yadKJkD VxrMcQUpgrade naar KadastraleKaart Pro
WOqM09VysVR f1Upgrade naar KadastraleKaart Pro
uVxuJr7x0XYq0zTd Upgrade naar KadastraleKaart Pro
ohbDqtNUcptAUpgrade naar KadastraleKaart Pro
y dHQ9 KCjlmQDTUpgrade naar KadastraleKaart Pro
JARRSYBhTJ7eUpgrade naar KadastraleKaart Pro
uMU3 pFotZ kVuaPdJUpgrade naar KadastraleKaart Pro
C2cLW P6 X0r8So6zC31Upgrade naar KadastraleKaart Pro
12/03/2025

Percelen
Gebruik de zoekbalk of klik op een perceel om informatie over het perceel te bekijken.