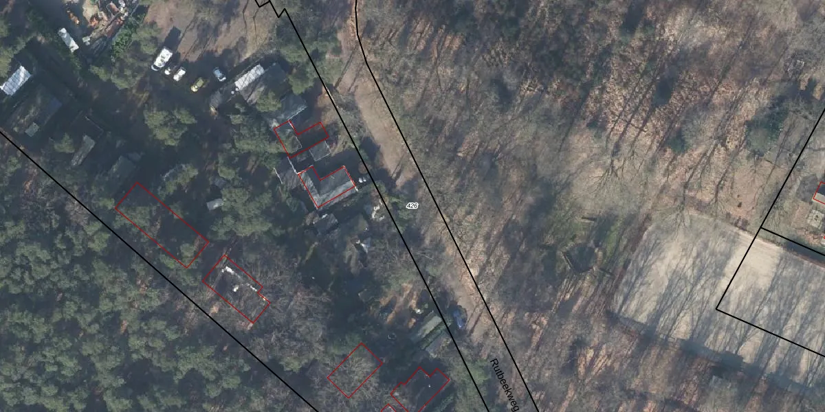
Perceel: LNK00-AB-426
KadastraleKaart.com kan meer dan je denktOntdek meer ›
Filter op bestemming 50+ datasets Eigendomsdata in één klik Percelen CRM
Geen adressen bij dit perceel
15.065 m2 - 3.006 m
Eigenaar opvragen
LNK00-AB-426 (Lonneker)
- Geen postcode aanwezig
VvCGAEFbpm3aK8ws SZSsUpgrade naar KadastraleKaart Pro
Bekijk op Street View
Download DWG/DXF/Excel
NKj6PW aQUpgrade naar KadastraleKaart Pro
Xze DuCjX RIuWM7oBCPDUpgrade naar KadastraleKaart Pro
Z3pUnr DG5gUpgrade naar KadastraleKaart Pro
0jvgXIxzMAE7sIXQHUpgrade naar KadastraleKaart Pro
Cn4ck1BVfUpgrade naar KadastraleKaart Pro
uwu8LDG7uj XP02D113U8CpUpgrade naar KadastraleKaart Pro
SIwIoPx2kWSUpgrade naar KadastraleKaart Pro
q1mMJBvhVN3Utc4ane6WDUpgrade naar KadastraleKaart Pro
xS 0vjXRcJtWSi Upgrade naar KadastraleKaart Pro
kcVq9BPOUWfY90Q CrAUpgrade naar KadastraleKaart Pro
07/10/2025

Percelen
Gebruik de zoekbalk of klik op een perceel om informatie over het perceel te bekijken.