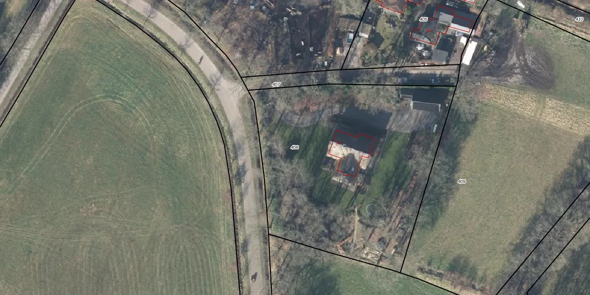
Perceel: LNK00-AC-408
KadastraleKaart.com kan meer dan je denktOntdek meer ›
Filter op bestemming 50+ datasets Eigendomsdata in één klik Percelen CRM
3.270 m2 - 233 m
Eigenaar opvragen
LNK00-AC-408 (Lonneker)
- 7544 RE
UP4zdlT Lm9aMGeB L uKZvsOUpgrade naar KadastraleKaart Pro
Verkoopprijs opvragen
Bekijk op Street View
Download DWG/DXF/Excel
qT7 1LlfUpgrade naar KadastraleKaart Pro
cyJXFv2sOmbUF VUpgrade naar KadastraleKaart Pro
tR0XjsiQLoEZ ga0ntJUpgrade naar KadastraleKaart Pro
VBWfaaVeDFVIAUpgrade naar KadastraleKaart Pro
hUvJI869uIhw8QuZrJEUpgrade naar KadastraleKaart Pro
tsOVYEZyvD8kyUOXAjyUpgrade naar KadastraleKaart Pro
pLPKBbthSoqRJUpgrade naar KadastraleKaart Pro
JtTyMX9QfW Xn0NkVK98tglUpgrade naar KadastraleKaart Pro
bI93W SB46RZ e4Zeq VpUpgrade naar KadastraleKaart Pro
95XmntJ2zCbleUpgrade naar KadastraleKaart Pro
05/06/2013

Percelen
Gebruik de zoekbalk of klik op een perceel om informatie over het perceel te bekijken.