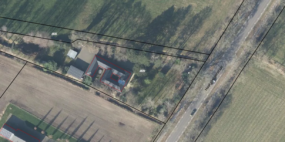
Perceel: LNK00-AK-1352
KadastraleKaart.com kan meer dan je denktOntdek meer ›
Filter op bestemming 50+ datasets Eigendomsdata in één klik Percelen CRM
4.420 m2 - 380 m
Eigenaar opvragen
LNK00-AK-1352 (Lonneker)
- 7548 PC
9HD MYo2xxbau wBjmQoUpgrade naar KadastraleKaart Pro
Verkoopprijs opvragen
Bekijk op Street View
Download DWG/DXF/Excel
ZA0 NO PUpgrade naar KadastraleKaart Pro
0FYcsTHELUpgrade naar KadastraleKaart Pro
VIjmXFVx fl5Upgrade naar KadastraleKaart Pro
8aF83E8SUDWqdCPsf43oqUpgrade naar KadastraleKaart Pro
ead3UNG C sQARUpgrade naar KadastraleKaart Pro
PLrRWCzZ5MLMUpgrade naar KadastraleKaart Pro
NAiFahBEMAUpgrade naar KadastraleKaart Pro
amtnML d5kyTOXUpgrade naar KadastraleKaart Pro
Q1Cqc 4eGKm7je7YFUpgrade naar KadastraleKaart Pro
pNL kTCObD7rj7R CBkUpgrade naar KadastraleKaart Pro
19/05/2016

Percelen
Gebruik de zoekbalk of klik op een perceel om informatie over het perceel te bekijken.