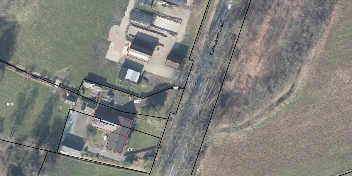
Perceel: LNK00-AM-748
Geen adressen bij dit perceel
7 m2 - 18 m
Eigenaar opvragen
LNK00-AM-748 (Lonneker)
- Geen postcode aanwezig
RuTUZeoPv8BY9RDxfr4u6Upgrade naar KadastraleKaart Pro
Bekijk op Street View
Download DWG/DXF/Excel
393rWcOMUpgrade naar KadastraleKaart Pro
XhnMQJVblgUpgrade naar KadastraleKaart Pro
DUqWTV3HugyUpgrade naar KadastraleKaart Pro
LzY El2vQ4Fh hCA38Upgrade naar KadastraleKaart Pro
BE4Lq7CiKJ2pKYiwUpgrade naar KadastraleKaart Pro
Jd8zpH5VPTOUA9AWXFltoUpgrade naar KadastraleKaart Pro
wpuvrrtjeDu7V vIyj9kjUpgrade naar KadastraleKaart Pro
x jMgrChDUpgrade naar KadastraleKaart Pro
DMF5 gm 11 cSw8 yUpgrade naar KadastraleKaart Pro
9yjB abCamJX1i3yhURNlOBUpgrade naar KadastraleKaart Pro
03/11/2016

Percelen
Gebruik de zoekbalk of klik op een perceel om informatie over het perceel te bekijken.