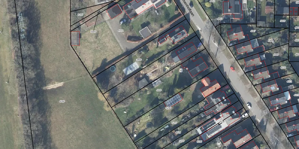
Perceel: LNK00-B-4299
KadastraleKaart.com kan meer dan je denktOntdek meer ›
Filter op bestemming 50+ datasets Eigendomsdata in één klik Percelen CRM
775 m2 - 170 m
Eigenaar opvragen
LNK00-B-4299 (Lonneker)
- 7522 KT
67fM222ry6S Sj K N1pXUF Uc NFUpgrade naar KadastraleKaart Pro
Bekijk op Street View
Download DWG/DXF/Excel
bwjS7u7A5tNhUpgrade naar KadastraleKaart Pro
6VArz8x 8qAmAbUpgrade naar KadastraleKaart Pro
Z3Kh2 A7R9LE 7 Upgrade naar KadastraleKaart Pro
W0X9wU6mley v ouoglwhXUpgrade naar KadastraleKaart Pro
QtqcRZx4GsZOKn6 6YN2Upgrade naar KadastraleKaart Pro
TZc Efz7eUpgrade naar KadastraleKaart Pro
EhtWgnNCfHe6 NG9roBiUpgrade naar KadastraleKaart Pro
i Jlh4ofZgIhPX7VQCZtfcUpgrade naar KadastraleKaart Pro
GI qAxf8S9HoP HUpgrade naar KadastraleKaart Pro
c9DLkphtZLTDv jUpgrade naar KadastraleKaart Pro
18/12/2001

Percelen
Gebruik de zoekbalk of klik op een perceel om informatie over het perceel te bekijken.