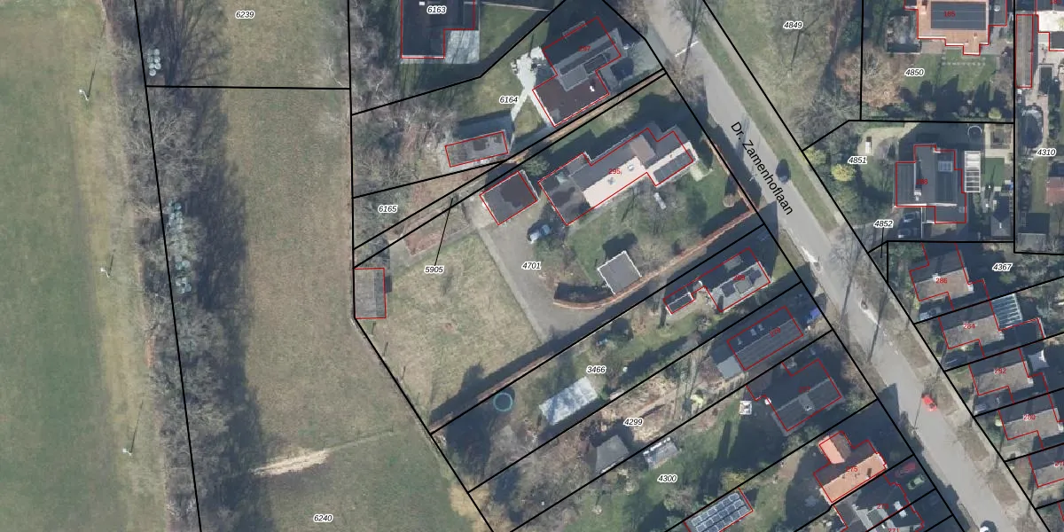
Perceel: LNK00-B-4701
KadastraleKaart.com kan meer dan je denktOntdek meer ›
Filter op bestemming 50+ datasets Eigendomsdata in één klik Percelen CRM
2.492 m2 - 213 m
Eigenaar opvragen
LNK00-B-4701 (Lonneker)
- 7522 KT
Ju3hLRl9BPKSRm1eK2DHdp hlNH2Upgrade naar KadastraleKaart Pro
Verkoopprijs opvragen
Bekijk op Street View
Download DWG/DXF/Excel
RSmAwT9TEVI2RUpgrade naar KadastraleKaart Pro
3 OWUpuOIUUpgrade naar KadastraleKaart Pro
ktpSEs1zUpgrade naar KadastraleKaart Pro
0j9lldk 2z53Upgrade naar KadastraleKaart Pro
joNxn9erSKg8m VlhxGvjxLUpgrade naar KadastraleKaart Pro
fM7O4PGUa4IDBr C1Upgrade naar KadastraleKaart Pro
nHeOq0KbabwkC Upgrade naar KadastraleKaart Pro
NohfW8WeJLEddUpgrade naar KadastraleKaart Pro
TGu0TR3O56S8kJLIUpgrade naar KadastraleKaart Pro
eCKb NCi3DLHKUUpgrade naar KadastraleKaart Pro
28/02/2006

Percelen
Gebruik de zoekbalk of klik op een perceel om informatie over het perceel te bekijken.