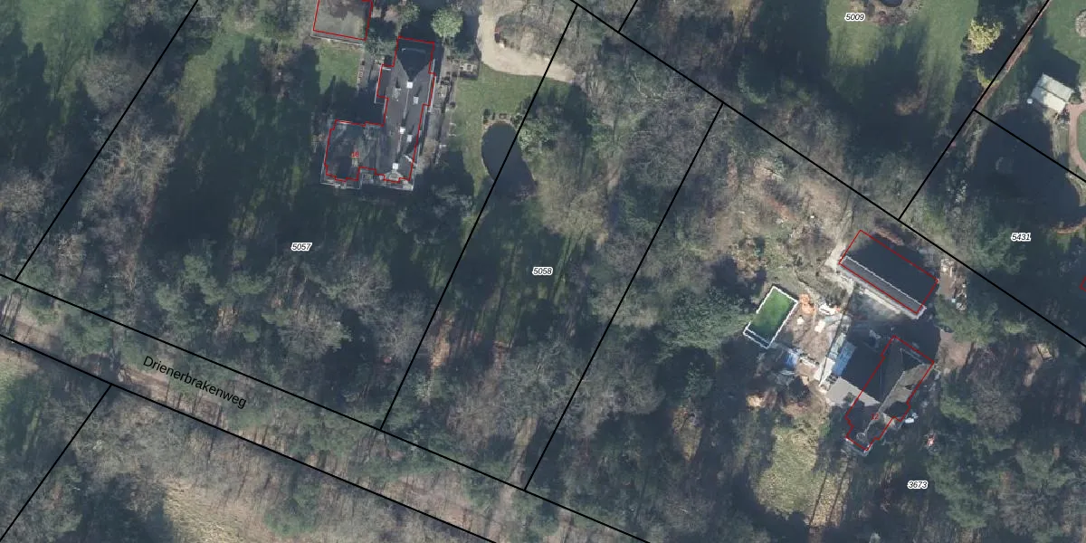
Perceel: LNK00-B-5058
KadastraleKaart.com kan meer dan je denktOntdek meer ›
Filter op bestemming 50+ datasets Eigendomsdata in één klik Percelen CRM
Geen adressen bij dit perceel
2.500 m2 - 228 m
Eigenaar opvragen
LNK00-B-5058 (Lonneker)
- Geen postcode aanwezig
UdDdQvAwe69669aPs3gUpgrade naar KadastraleKaart Pro
Bekijk op Street View
Download DWG/DXF/Excel
zRL q00MBvTp9ZbUpgrade naar KadastraleKaart Pro
v U55Kg019IG9gyYUpgrade naar KadastraleKaart Pro
byppY7XuQQVrq4ev9Upgrade naar KadastraleKaart Pro
HJw075kooZnt350guoKUpgrade naar KadastraleKaart Pro
xH udEky4Omvi6yAYa1ZqrvUpgrade naar KadastraleKaart Pro
HLXjC0aOUPR 2YVB0HuUpgrade naar KadastraleKaart Pro
x2 vet a sHTzUpgrade naar KadastraleKaart Pro
Qrz5IoEspW6JFwdgmoUpgrade naar KadastraleKaart Pro
ibITClYtW4HFXakkLpUpgrade naar KadastraleKaart Pro
su1J4v2gnL t7zHIUpgrade naar KadastraleKaart Pro
18/12/2001

Percelen
Gebruik de zoekbalk of klik op een perceel om informatie over het perceel te bekijken.