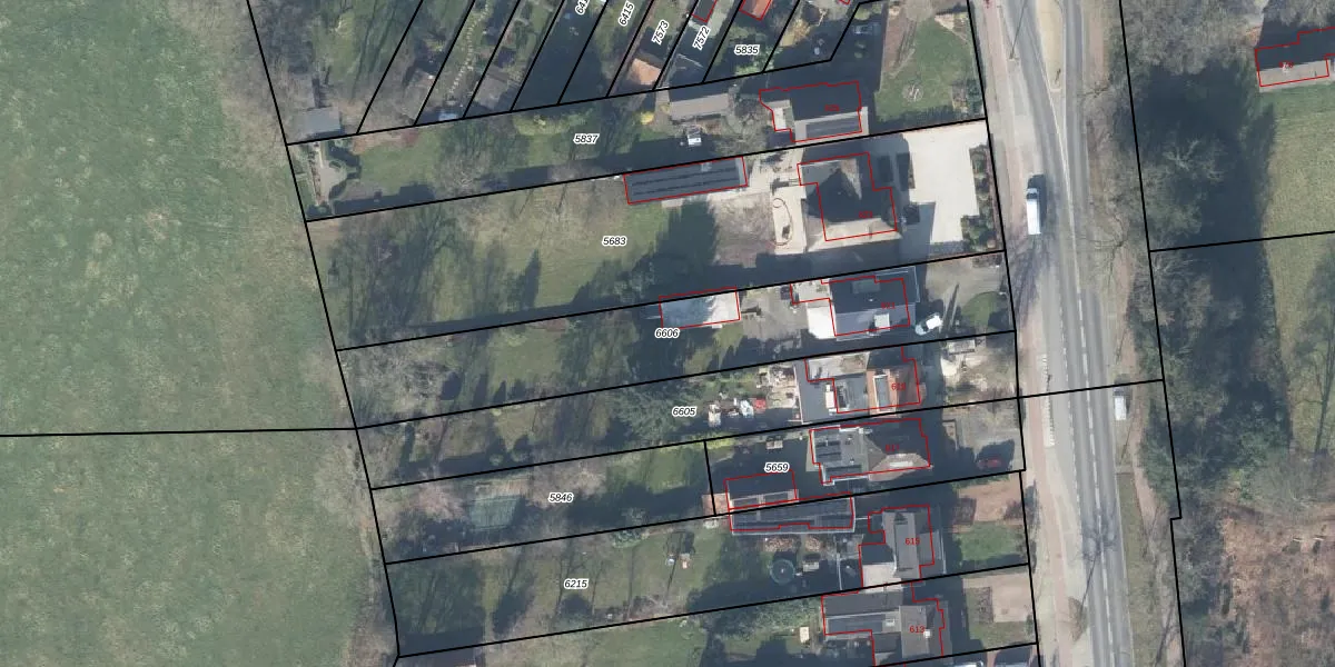
Perceel: LNK00-C-6606
KadastraleKaart.com kan meer dan je denktOntdek meer ›
Filter op bestemming 50+ datasets Eigendomsdata in één klik Percelen CRM
1.189 m2 - 226 m
Eigenaar opvragen
LNK00-C-6606 (Lonneker)
- 7524 AB
9ZMekth93 WDdWXS7DXUpgrade naar KadastraleKaart Pro
Bekijk op Street View
Download DWG/DXF/Excel
qILnCQXE 8qzMqmKVcjzUpgrade naar KadastraleKaart Pro
agNKY R qUpgrade naar KadastraleKaart Pro
quttYj4uZx0HPgJe Ex d2SUpgrade naar KadastraleKaart Pro
q3uHbtTegLUrNUpgrade naar KadastraleKaart Pro
fwQABRzFACRUpgrade naar KadastraleKaart Pro
pnzis Z2hDkj2YEPs3oUpgrade naar KadastraleKaart Pro
BRoE3K 7ulJmCa OQ7AM Upgrade naar KadastraleKaart Pro
ocBkAT36IusUpgrade naar KadastraleKaart Pro
FurI9i97 GOO AUpgrade naar KadastraleKaart Pro
CWLyZZ6 R2QPelh4k3 Ie Upgrade naar KadastraleKaart Pro
10/02/2011

Percelen
Gebruik de zoekbalk of klik op een perceel om informatie over het perceel te bekijken.