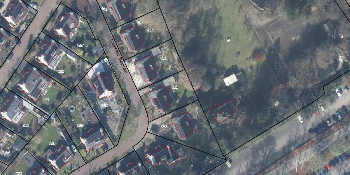
Perceel: LNK00-C-8016
KadastraleKaart.com kan meer dan je denktOntdek meer ›
Filter op bestemming 50+ datasets Eigendomsdata in één klik Percelen CRM
568 m2 - 99 m
Eigenaar opvragen
LNK00-C-8016 (Lonneker)
- 7524 DN
f0Rmu15NGVnGt8dVIbz2qUpgrade naar KadastraleKaart Pro
Bekijk op Street View
Download DWG/DXF/Excel
mI oYKdWUpgrade naar KadastraleKaart Pro
r1Qc4zCDdUpgrade naar KadastraleKaart Pro
5Y g4cioqePFTTcUpgrade naar KadastraleKaart Pro
pRltwxv TtNAAVZeoLFMUpgrade naar KadastraleKaart Pro
50nr P3cXaDoQshUpgrade naar KadastraleKaart Pro
K8ZTq2IvZ7XUpgrade naar KadastraleKaart Pro
QJGtTHPZqg2qijn1Upgrade naar KadastraleKaart Pro
cS3jwL YdTfh4Uoli R bacUpgrade naar KadastraleKaart Pro
Eu Q9acRGPNasKdo 0A9TOIUpgrade naar KadastraleKaart Pro
tOMErifvMEgqXKUpgrade naar KadastraleKaart Pro
22/09/2006

Percelen
Gebruik de zoekbalk of klik op een perceel om informatie over het perceel te bekijken.