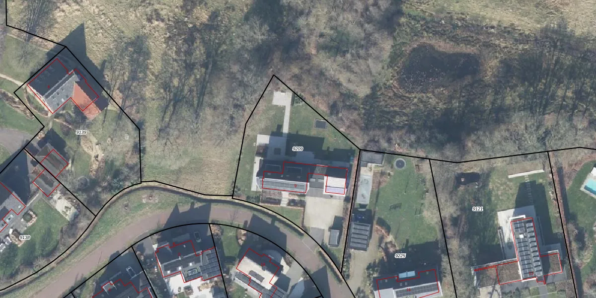
Perceel: LNK00-C-9209
KadastraleKaart.com kan meer dan je denktOntdek meer ›
Filter op bestemming 50+ datasets Eigendomsdata in één klik Percelen CRM
1.551 m2 - 171 m
Eigenaar opvragen
LNK00-C-9209 (Lonneker)
- 7524 NJ
a7ouG2e3AzYi IqSMUpgrade naar KadastraleKaart Pro
Bekijk op Street View
Download DWG/DXF/Excel
79 B5zypraUpgrade naar KadastraleKaart Pro
qf8en30ZbpYHaIRUpgrade naar KadastraleKaart Pro
pRNA6i5HQdi8Io oS CBUpgrade naar KadastraleKaart Pro
nyjnX5yCFkkUpgrade naar KadastraleKaart Pro
YKb S A9f WvK hDCwUpgrade naar KadastraleKaart Pro
Jwa0 W rz5D7s3Upgrade naar KadastraleKaart Pro
AGBzicvUpgrade naar KadastraleKaart Pro
7 p1JkxYiLblewj6rrv wYUpgrade naar KadastraleKaart Pro
pa89EvmnJFM4CfboTUpgrade naar KadastraleKaart Pro
KV0m3dAZUpgrade naar KadastraleKaart Pro
20/04/2022

Percelen
Gebruik de zoekbalk of klik op een perceel om informatie over het perceel te bekijken.