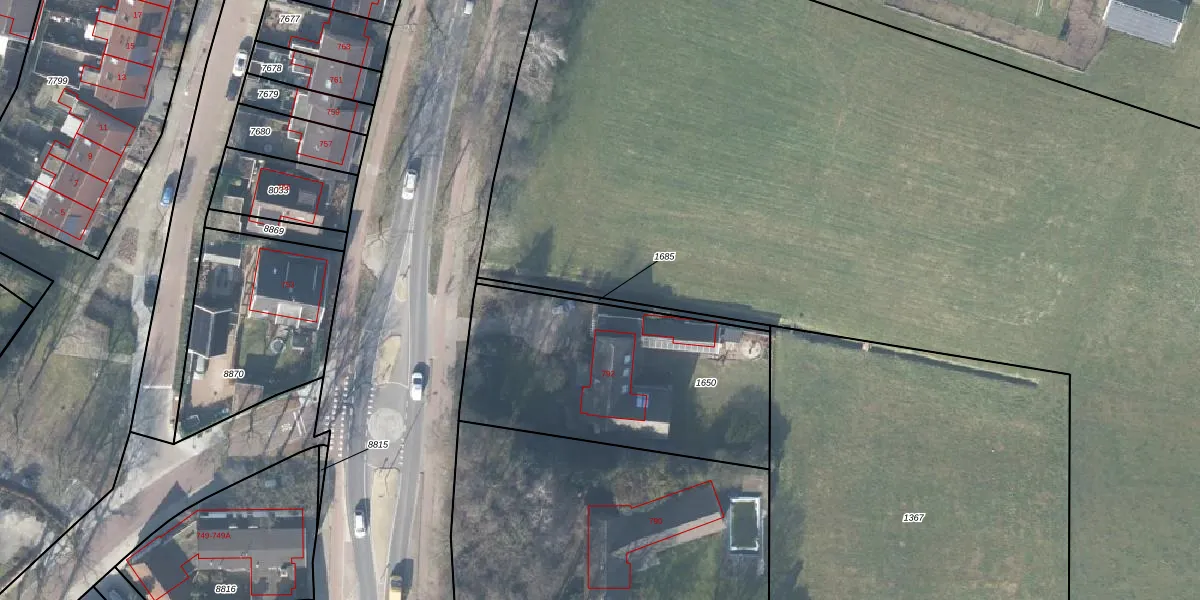
Perceel: LNK00-D-1685
KadastraleKaart.com kan meer dan je denktOntdek meer ›
Filter op bestemming 50+ datasets Eigendomsdata in één klik Percelen CRM
Geen adressen bij dit perceel
50 m2 - 101 m
Eigenaar opvragen
LNK00-D-1685 (Lonneker)
- Geen postcode aanwezig
IIlDEKttTbM zOIBoKSDS0KLUpgrade naar KadastraleKaart Pro
Bekijk op Street View
Download DWG/DXF/Excel
6324BSYirjp oYX8Upgrade naar KadastraleKaart Pro
G3TJVPQCw5Upgrade naar KadastraleKaart Pro
Q PlXwlH9 v1L Upgrade naar KadastraleKaart Pro
zeJU7Q oqZUpgrade naar KadastraleKaart Pro
9zoAJW6J7KKa6k9RUpgrade naar KadastraleKaart Pro
jHEAltDvaj R8dbOOTWUpgrade naar KadastraleKaart Pro
RTgjdlXZC7Upgrade naar KadastraleKaart Pro
N3UBCXgROrcZ0ASGJUpgrade naar KadastraleKaart Pro
HixsT3px3l1t5Upgrade naar KadastraleKaart Pro
SEojrM5jUpgrade naar KadastraleKaart Pro
29/11/2011

Percelen
Gebruik de zoekbalk of klik op een perceel om informatie over het perceel te bekijken.