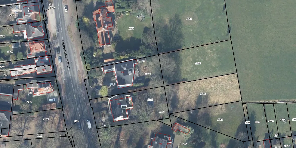
Perceel: LNK00-D-1893
KadastraleKaart.com kan meer dan je denktOntdek meer ›
Filter op bestemming 50+ datasets Eigendomsdata in één klik Percelen CRM
1.070 m2 - 146 m
Eigenaar opvragen
LNK00-D-1893 (Lonneker)
- 7524 AH
VFEQqAOUGL zwWbP tVBlk7ZeL bwUpgrade naar KadastraleKaart Pro
Verkoopprijs opvragen
Bekijk op Street View
Download DWG/DXF/Excel
H1eWsvTm9 MN0X mcUpgrade naar KadastraleKaart Pro
pFsI zVAM0P0Upgrade naar KadastraleKaart Pro
mC9IoEIxrD8542Upgrade naar KadastraleKaart Pro
NV7p FNlf pjGUpgrade naar KadastraleKaart Pro
xmLiXd5DP1VRbkz yUpgrade naar KadastraleKaart Pro
ylJXKcrrT 4Upgrade naar KadastraleKaart Pro
PrZWaFqB H0xvUpgrade naar KadastraleKaart Pro
yCLXHXuoyOqWKss6Upgrade naar KadastraleKaart Pro
b LbO5ZZtCKxpKUgQegpw28Upgrade naar KadastraleKaart Pro
WUSb1E 5N wcHUpgrade naar KadastraleKaart Pro
29/11/2011

Percelen
Gebruik de zoekbalk of klik op een perceel om informatie over het perceel te bekijken.