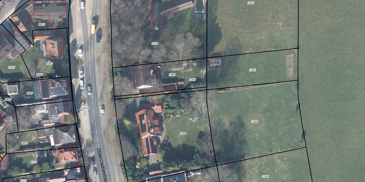
Perceel: LNK00-D-2087
KadastraleKaart.com kan meer dan je denktOntdek meer ›
Filter op bestemming 50+ datasets Eigendomsdata in één klik Percelen CRM
Geen adressen bij dit perceel
79 m2 - 105 m
Eigenaar opvragen
LNK00-D-2087 (Lonneker)
- Geen postcode aanwezig
sJ9S cvB LDc3b6h7t7N01wGUpgrade naar KadastraleKaart Pro
Bekijk op Street View
Download DWG/DXF/Excel
9aAohlutRPPUpgrade naar KadastraleKaart Pro
WM FbOQKXeUpgrade naar KadastraleKaart Pro
gSA1z2nUPDzGea5Upgrade naar KadastraleKaart Pro
JKg1UI9Xdhf9qpJo WHd6Upgrade naar KadastraleKaart Pro
z ujAKCAICybUpgrade naar KadastraleKaart Pro
hpW9RjxTSKe4FCNIUVfxUpgrade naar KadastraleKaart Pro
AFLTa3SC rmebyEK1G pZUUpgrade naar KadastraleKaart Pro
Jgl UnHaUpgrade naar KadastraleKaart Pro
DCXqp5qGbOJ6eD4WwrUpgrade naar KadastraleKaart Pro
2cbiKEWEL6FMlZTLq Upgrade naar KadastraleKaart Pro
29/11/2011

Percelen
Gebruik de zoekbalk of klik op een perceel om informatie over het perceel te bekijken.