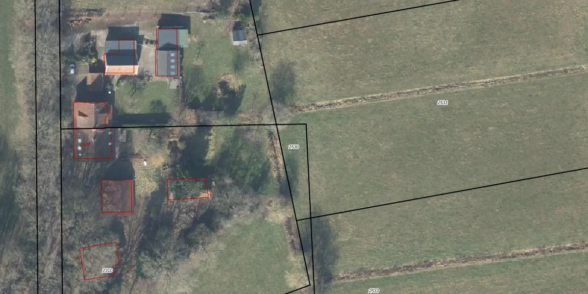
Perceel: LNK00-D-2530
KadastraleKaart.com kan meer dan je denktOntdek meer ›
Filter op bestemming 50+ datasets Eigendomsdata in één klik Percelen CRM
Geen adressen bij dit perceel
246 m2 - 80 m
Eigenaar opvragen
LNK00-D-2530 (Lonneker)
- Geen postcode aanwezig
enBBBGBjy 0FfFyWIYxSv zbUpgrade naar KadastraleKaart Pro
Bekijk op Street View
Download DWG/DXF/Excel
oxKH075awpyuoTgVYp Upgrade naar KadastraleKaart Pro
t5aTClq6E2IXi wCdP7RtOAUpgrade naar KadastraleKaart Pro
yRvKpYXRl OUpgrade naar KadastraleKaart Pro
1D64OTUU1Upgrade naar KadastraleKaart Pro
59h1 QSFI cbwzHz6s0th8Upgrade naar KadastraleKaart Pro
JQq3LyaJbwgKUJ TaZUpgrade naar KadastraleKaart Pro
uaR G990l 4NbRwuWUpgrade naar KadastraleKaart Pro
VECTVCgEUpgrade naar KadastraleKaart Pro
LjNCKxK3LibjsnwGkX0tZenUpgrade naar KadastraleKaart Pro
duhQ Py Y3LLMlKUV1DFdNUpgrade naar KadastraleKaart Pro
28/12/2018

Percelen
Gebruik de zoekbalk of klik op een perceel om informatie over het perceel te bekijken.