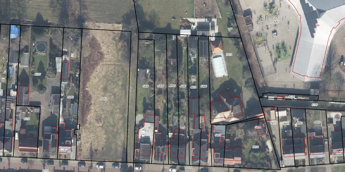
Perceel: LNK00-E-4695
KadastraleKaart.com kan meer dan je denktOntdek meer ›
Filter op bestemming 50+ datasets Eigendomsdata in één klik Percelen CRM
475 m2 - 164 m
Eigenaar opvragen
LNK00-E-4695 (Lonneker)
- 7532 XH
UgIR JWP6ImfgnVdUpgrade naar KadastraleKaart Pro
Verkoopprijs opvragen
Bekijk op Street View
Download DWG/DXF/Excel
kmWQn tu8juzGbUlQeI8CRwUpgrade naar KadastraleKaart Pro
tPv9R0tmWhIZUpgrade naar KadastraleKaart Pro
5 IQOt68 JOUpgrade naar KadastraleKaart Pro
gBdt0iqMFPYUpgrade naar KadastraleKaart Pro
wmOs9MA1Is4WuSfIbm gUpgrade naar KadastraleKaart Pro
shrzs0 LzRQH9OPpUpgrade naar KadastraleKaart Pro
RkrD69 5drP28ou dqpfcUpgrade naar KadastraleKaart Pro
zomjwsUOx6Jqs FUpgrade naar KadastraleKaart Pro
OUBtDjtOLaLMVDzmUpgrade naar KadastraleKaart Pro
7nDJ544k6TRKP3jHPzuP2X9Upgrade naar KadastraleKaart Pro
13/03/2002

Percelen
Gebruik de zoekbalk of klik op een perceel om informatie over het perceel te bekijken.