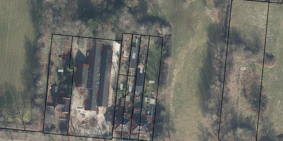
Perceel: LNK00-E-5485
KadastraleKaart.com kan meer dan je denktOntdek meer ›
Filter op bestemming 50+ datasets Eigendomsdata in één klik Percelen CRM
455 m2 - 161 m
Eigenaar opvragen
LNK00-E-5485 (Lonneker)
- 7534 AC
En9SK N43ZoYsXFIXTUpgrade naar KadastraleKaart Pro
Verkoopprijs opvragen
Bekijk op Street View
Download DWG/DXF/Excel
rA07tKT MjM0hNjQYFUpgrade naar KadastraleKaart Pro
k3Pd6p oTqNk3HYUpgrade naar KadastraleKaart Pro
rCWXq HaFxbYSk YUpgrade naar KadastraleKaart Pro
D LH7QhGUpgrade naar KadastraleKaart Pro
wwl 9HnDgjx5ilo0Upgrade naar KadastraleKaart Pro
h1ZGenzadnynzwpl 7M4fymUpgrade naar KadastraleKaart Pro
8x8jR8vdWUpgrade naar KadastraleKaart Pro
I21zsn6V tMALaod0H8 VUpgrade naar KadastraleKaart Pro
rWFKZRU1iWxm qw7E1M Upgrade naar KadastraleKaart Pro
6WTYt0KdCUpgrade naar KadastraleKaart Pro
19/03/2008

Percelen
Gebruik de zoekbalk of klik op een perceel om informatie over het perceel te bekijken.