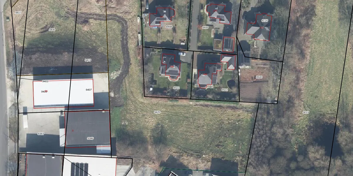
Perceel: LNK00-E-8502
KadastraleKaart.com kan meer dan je denktOntdek meer ›
Filter op bestemming 50+ datasets Eigendomsdata in één klik Percelen CRM
762 m2 - 111 m
Eigenaar opvragen
LNK00-E-8502 (Lonneker)
- 7532 RS
bKQnuMw n 2pT GUUpgrade naar KadastraleKaart Pro
Verkoopprijs opvragen
Bekijk op Street View
Download DWG/DXF/Excel
uxoMMNlPx2VUpgrade naar KadastraleKaart Pro
AcNS0QvsYouHCBCy OHzq Upgrade naar KadastraleKaart Pro
O4m2FRGy6GggIUpgrade naar KadastraleKaart Pro
BstF7kJ J2Upgrade naar KadastraleKaart Pro
4VMrdAlYhUpgrade naar KadastraleKaart Pro
6Pr1x5tZvyiAp6bMMrUpgrade naar KadastraleKaart Pro
O3gIPAC ftksUpgrade naar KadastraleKaart Pro
hcsWxU T syZ2pwUpgrade naar KadastraleKaart Pro
d7mrawz S bovfjUpgrade naar KadastraleKaart Pro
AP fnf IkNe3hKcyP Upgrade naar KadastraleKaart Pro
14/11/2007

Percelen
Gebruik de zoekbalk of klik op een perceel om informatie over het perceel te bekijken.