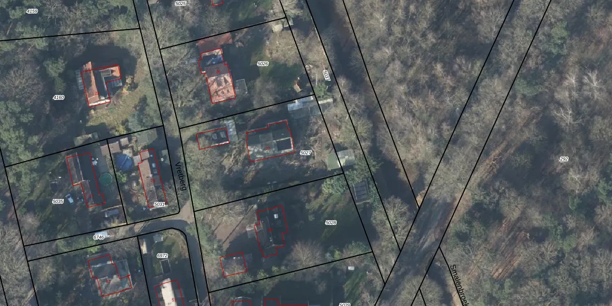
Perceel: LNK00-H-5027
KadastraleKaart.com kan meer dan je denktOntdek meer ›
Filter op bestemming 50+ datasets Eigendomsdata in één klik Percelen CRM
1.310 m2 - 151 m
Eigenaar opvragen
LNK00-H-5027 (Lonneker)
- 7546 PE
cZ He7GBEFdzr43 Pb5a Xt YF Upgrade naar KadastraleKaart Pro
Verkoopprijs opvragen
Bekijk op Street View
Download DWG/DXF/Excel
WY1pNUT l0UE7bDlS97Upgrade naar KadastraleKaart Pro
G N 51RGUpgrade naar KadastraleKaart Pro
uW7 FOU3 JUpgrade naar KadastraleKaart Pro
iDrNFY3aarrUpgrade naar KadastraleKaart Pro
l8ab9GyZckSPD3Upgrade naar KadastraleKaart Pro
VbbymzrUD17N66Upgrade naar KadastraleKaart Pro
0x CdTYNLt7bcat9GolRX5oUpgrade naar KadastraleKaart Pro
fuwKxr4 bwPUpgrade naar KadastraleKaart Pro
Z01CJodqQ5Pob4VPUpgrade naar KadastraleKaart Pro
VYkWycxRrv4NnF1 MybcD3DUpgrade naar KadastraleKaart Pro
30/05/2008

Percelen
Gebruik de zoekbalk of klik op een perceel om informatie over het perceel te bekijken.