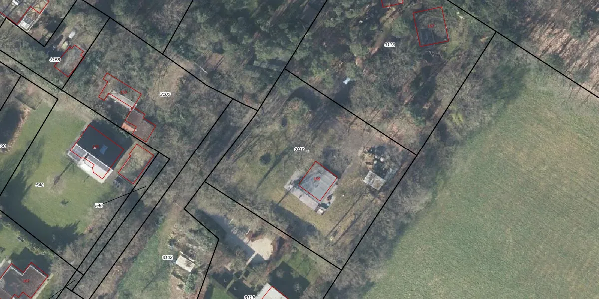
Perceel: LNK00-I-3112
KadastraleKaart.com kan meer dan je denktOntdek meer ›
Filter op bestemming 50+ datasets Eigendomsdata in één klik Percelen CRM
2.470 m2 - 200 m
Eigenaar opvragen
LNK00-I-3112 (Lonneker)
- 7548 RK
VeSWAH LSd1URqj3SzUpgrade naar KadastraleKaart Pro
Bekijk op Street View
Download DWG/DXF/Excel
4Rsm4nIecxUpgrade naar KadastraleKaart Pro
LiRdJtlMUpgrade naar KadastraleKaart Pro
98tbuv4DVPZNyN9XUpgrade naar KadastraleKaart Pro
i9B4 agHSsmUKYQV Upgrade naar KadastraleKaart Pro
EbUz3pe3iX NGUpgrade naar KadastraleKaart Pro
ERuQx Q epqxgVkqSJkJ Upgrade naar KadastraleKaart Pro
UvGIf Jfd9v7Byr6NIwTCfUpgrade naar KadastraleKaart Pro
iEkHcEsgKPMAsUpgrade naar KadastraleKaart Pro
z V6 BsUiyDhUpgrade naar KadastraleKaart Pro
TaFGB0v afkc5Upgrade naar KadastraleKaart Pro
11/07/2007

Percelen
Gebruik de zoekbalk of klik op een perceel om informatie over het perceel te bekijken.